Log In/Sign Up
Your email has been sent.
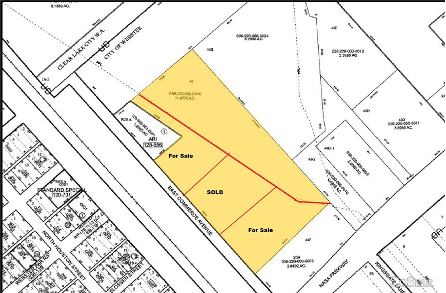
E Commerce & Nasa Pkwy
Webster, TX 77598
E. Commerce Avenue and Nasa Pkwy · Land For Sale
·
9.41 AC


Executive Summary
Can divide - call for prices and availability
There is 6.677 acres of land off E. Commerce Street and Nasa Road One in the City of Webster at $1.50 per square foot of gross land area. Email: Info@silkroadproperties.com or call Astra Realty at: 281-486-2000.
3 lots:
8.5313ac 400 E Commerce
and .8757ac 0 E Commerce
and 4 + E Commerce & Nasa Road One
Utilities nearby but not on land.
Legal Description:
TR 44 BLK 64
HOUSTON ORCHARDS-WEBSTER
Property Address:
0 E COMMERCE AVENUE
WEBSTER TX 77598
OWNER FINANCING AVAILABLE
There is 6.677 acres of land off E. Commerce Street and Nasa Road One in the City of Webster at $1.50 per square foot of gross land area. Email: Info@silkroadproperties.com or call Astra Realty at: 281-486-2000.
3 lots:
8.5313ac 400 E Commerce
and .8757ac 0 E Commerce
and 4 + E Commerce & Nasa Road One
Utilities nearby but not on land.
Legal Description:
TR 44 BLK 64
HOUSTON ORCHARDS-WEBSTER
Property Address:
0 E COMMERCE AVENUE
WEBSTER TX 77598
OWNER FINANCING AVAILABLE
Property Facts
1 Lot Available
Lot 1
| Lot Size | 9.41 AC |
| Lot Size | 9.41 AC |
3 lots: 4+ ac 400 E Commerce and .8757ac 0 E Commerce and 1.8571 acres at E Commerce & Nasa Road One
Description
Utilities close by. 3 lots. MAKE OFFER. OWNER FINANCING AVAILABLE
Property Taxes
| Parcel Numbers | Improvements Assessment | $0 CAD | |
| Land Assessment | $1,304,678 CAD | Total Assessment | $1,304,678 CAD |
Property Taxes
Parcel Numbers
Land Assessment
$1,304,678 CAD
Improvements Assessment
$0 CAD
Total Assessment
$1,304,678 CAD
1 of 5
Videos
Matterport 3D Exterior
Matterport 3D Tour
Photos
Street View
Street
Map
