Log In/Sign Up
Your email has been sent.
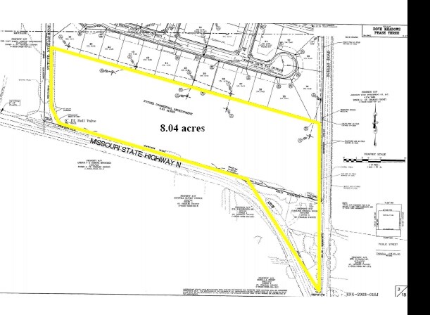
E Hwy N
Wentzville, MO 63385
NE Corner HWY N & Duello Rd · Land For Sale
·
5.18 AC


INVESTMENT HIGHLIGHTS
- Prime corner location with stoplight installation approved for 2026
- Surging residential growth fueling retail demand
- Over 88,000 residents and $106K+ median income within 5 miles
- Zoned C2 General Commercial with subdivision potential
- Proposed full access curb and dual right-in/right-out entries
- Highway N traffic volume exceeds 20,000 vehicles per day
EXECUTIVE SUMMARY
Positioned at the high-visibility northeast corner of Highway N and Duello Road/Hopewell Road in unincorporated St. Charles County, this 5.18 ± acre parcel offers a rare opportunity for commercial development in one of the region’s fastest-growing corridors. The site benefits from a newly approved stoplight scheduled for installation in 2026, enhancing both accessibility and traffic flow. With proposed full access curb cuts and right-in/right-out access on both Duello Road and Highway N, the property is primed for seamless ingress and egress.
The surrounding area is experiencing a surge in residential development, with thousands of new homes under construction, driving demand for retail, service, and convenience-oriented businesses. Zoned C2 General Commercial, the site supports a wide range of uses including retail centers, restaurants, medical offices, and more. Subdivision is possible, offering flexibility for multi-tenant or phased development strategies.
Traffic counts are robust, with Highway N seeing over 20,000 vehicles per day, and Duello and Hopewell Roads contributing additional exposure. Demographics within a 5-mile radius include a population of over 88,000 and a median household income exceeding $106,000, underscoring the area's strong consumer base.
This site is ideal for developers or owner-users seeking a strategic location in a thriving suburban market with excellent visibility, strong demographics, and infrastructure improvements already underway.
The surrounding area is experiencing a surge in residential development, with thousands of new homes under construction, driving demand for retail, service, and convenience-oriented businesses. Zoned C2 General Commercial, the site supports a wide range of uses including retail centers, restaurants, medical offices, and more. Subdivision is possible, offering flexibility for multi-tenant or phased development strategies.
Traffic counts are robust, with Highway N seeing over 20,000 vehicles per day, and Duello and Hopewell Roads contributing additional exposure. Demographics within a 5-mile radius include a population of over 88,000 and a median household income exceeding $106,000, underscoring the area's strong consumer base.
This site is ideal for developers or owner-users seeking a strategic location in a thriving suburban market with excellent visibility, strong demographics, and infrastructure improvements already underway.
PROPERTY FACTS Under Contract
1 LOT AVAILABLE
Lot
| Lot Size | 5.18 AC |
| Lot Size | 5.18 AC |
5.18± acre commercial lot at Hwy N & Duello Rd with 2026 stoplight, full access curb cuts, and strong traffic counts. Zoned C2, subdivision possible. Surging residential growth supports retail, service, and mixed-use development.
PROPERTY TAXES
| Parcel Number | T192300183 | Improvements Assessment | $0 CAD |
| Land Assessment | $0 CAD | Total Assessment | $565 CAD |
PROPERTY TAXES
Parcel Number
T192300183
Land Assessment
$0 CAD
Improvements Assessment
$0 CAD
Total Assessment
$565 CAD
1 of 22
VIDEOS
MATTERPORT 3D EXTERIOR
MATTERPORT 3D TOUR
PHOTOS
STREET VIEW
STREET
MAP
