Log In/Sign Up
Your email has been sent.
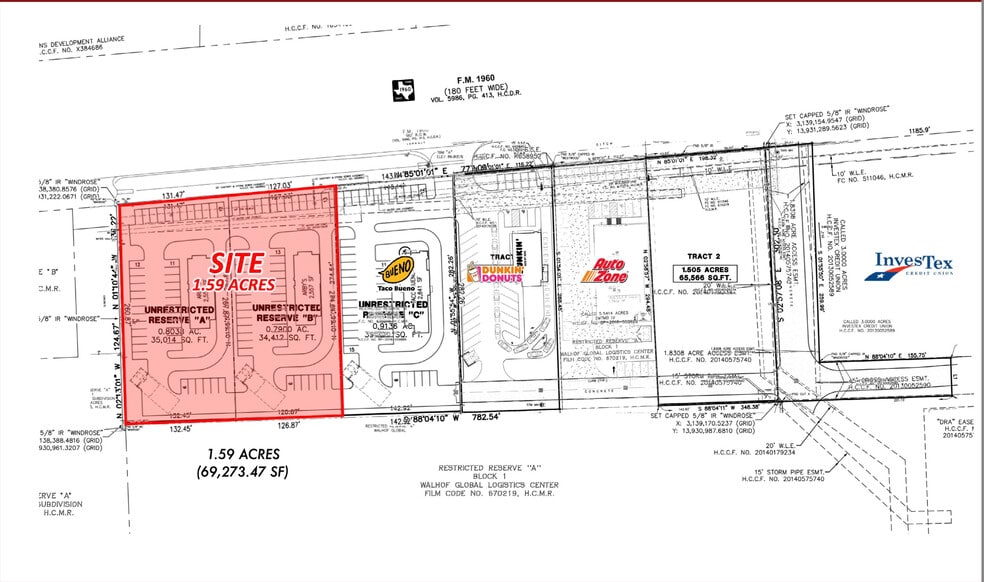
Investment Highlights
- Great visibility from FM 1960
- Lots of daytime and evening traffic
Property Facts
1 Lot Available
Lot
| Lot Size | 1.59 AC |
| Lot Size | 1.59 AC |
* Total of +/- 1.59 Acres (may be demised) * Accessible from FM 1960 with cross access to Kenswick (controlled signal) * Frontage on FM 1960
Description
* Close proximity to majority of resident and schools in trade area * Directly in front of major employment generators (Amazon, DHL, BASF, etc.) and Intercontinental Airport * Highly visible and accessible to traffic both directions on FM 1960 * Ideal for quick service restaurant, full-service restaurant, and other convenience based retail * Pricing: Call for information
Fairly walkable
50/100
Exceptionally drivable
90/100
Fairly bikeable
40/100
Property Taxes
| Parcel Numbers | Improvements Assessment | $0 CAD | |
| Land Assessment | $1,722,855 CAD | Total Assessment | $1,722,855 CAD |
Property Taxes
Parcel Numbers
Land Assessment
$1,722,855 CAD
Improvements Assessment
$0 CAD
Total Assessment
$1,722,855 CAD
1 of 6
Videos
Matterport 3D Exterior
Matterport 3D Tour
Photos
Street View
Street
Map
Presented by
FM 1960 - FM 1960 & Kenswick Dr., Humble
Already a member? Log In
Hmm, there seems to have been an error sending your message. Please try again.
Thanks! Your message was sent.




