Log In/Sign Up
Your email has been sent.
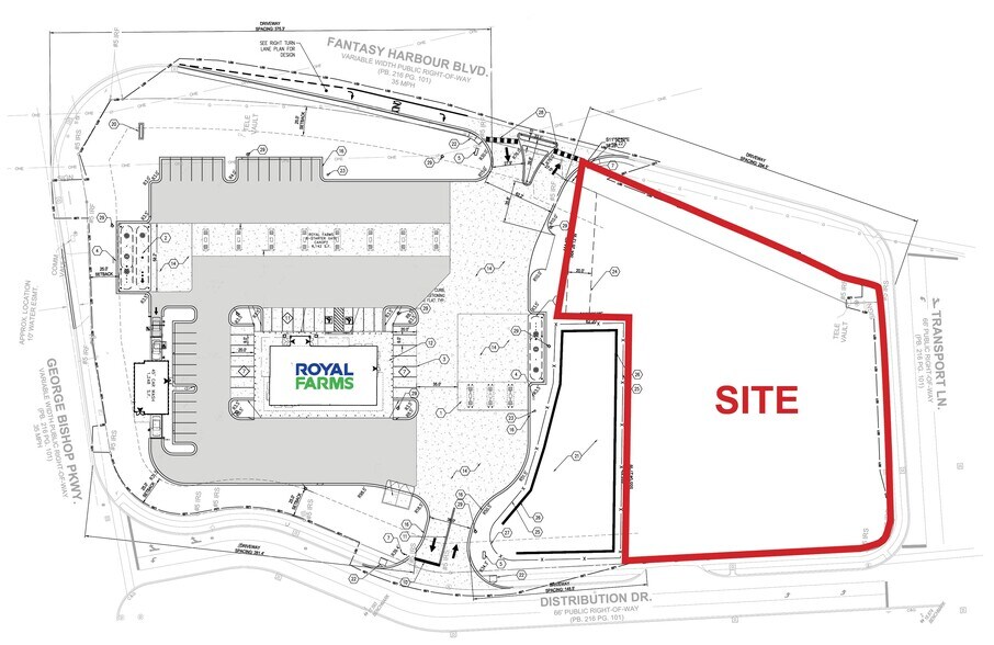
Fantasy Harbour Blvd
Myrtle Beach, SC 29579
Land For Lease


Highlights
- Commercial parcel available next to new Royal Farms
- Traffic Counts: George Bishop Pkwy - 23,700±VPD, Hwy 501 - 63,200±VPD
- Minutes from Myrtle Beach International Airport and major thoroughfares (Hwy 17, Carolina Bays Pkwy).
- Zoned PDD (Planned Development District
- Close proximity to established residential communities, golf resorts, and new multifamily developments.
Property Overview
1.39 acres total on the corner of Fantasy Harbour Blvd and George Bishop Pkwy. Zoned PDD.
Property Facts
1 of 4
Videos
Matterport 3D Exterior
Matterport 3D Tour
Photos
Street View
Street
Map
