Log In/Sign Up
Your email has been sent.
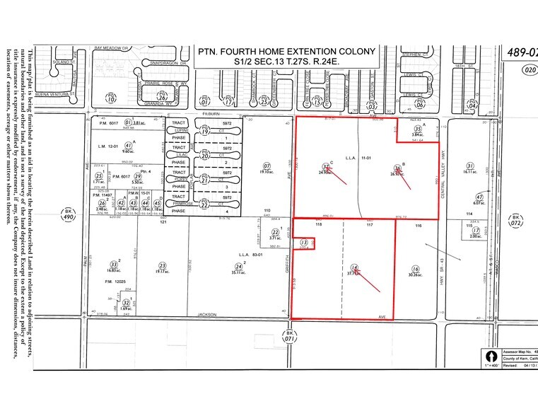
Filburn Ave - +/-89.67 Acres of Residential Zoned Land 89.67 Acres of Residential Land in Wasco, CA 93280



Investment Highlights
- Zoned Residential (R-1-8)
- Highway 43 frontage
- Adjacent to elementary school
- Excellent development opportunity
Property Facts
| Sale Type | Investment or Owner User | Property Subtype | Residential |
| No. Lots | 1 | Proposed Use | Single Family Development |
| Property Type | Land | Total Lot Size | 89.67 AC |
| Zoning | R-1-8 | ||
| Sale Type | Investment or Owner User |
| No. Lots | 1 |
| Property Type | Land |
| Property Subtype | Residential |
| Proposed Use | Single Family Development |
| Total Lot Size | 89.67 AC |
| Zoning | R-1-8 |
1 Lot Available
Lot
| Lot Size | 89.67 AC |
| Lot Size | 89.67 AC |
Description
This 89.67-acre R-1-8 residential-zoned land at Highway 43 and Filburn Avenue in Wasco, CA, is a prime opportunity for residential development. Located in a rapidly growing area, it offers convenient access to major roads, schools, parks, and shopping centers, making it an ideal site for a thriving community. With flexible zoning that allows for diverse housing options, this property is a valuable investment for developers looking to contribute to Wasco’s expansion and meet the city’s increasing housing demand.
1 1
Property Taxes
| Parcel Numbers | Improvements Assessment | $115,933 CAD | |
| Land Assessment | $2,461,853 CAD | Total Assessment | $2,577,786 CAD |
Property Taxes
Parcel Numbers
Land Assessment
$2,461,853 CAD
Improvements Assessment
$115,933 CAD
Total Assessment
$2,577,786 CAD
1 of 5
Videos
Matterport 3D Exterior
Matterport 3D Tour
Photos
Street View
Street
Map
1 of 1
Presented by
Filburn Ave - +/-89.67 Acres of Residential Zoned Land
Already a member? Log In
Hmm, there seems to have been an error sending your message. Please try again.
Thanks! Your message was sent.
