Your email has been sent.
69210 Fleurieux-sur-l'Arbresle 21,313 SF of Flex Space Available

Some information has been automatically translated.
Highlights
- Bâtiment d’activités à charpente métallique
- Équipements logistiques adaptés aux flux professionnels
- Organisation fonctionnelle entre activités, bureaux et vestiaires
Features
All Available Space(1)
Display Rental Rate as
- Space
- Size
- Term
-
Rental Rate
- Space Use
- Build-Out
- Available
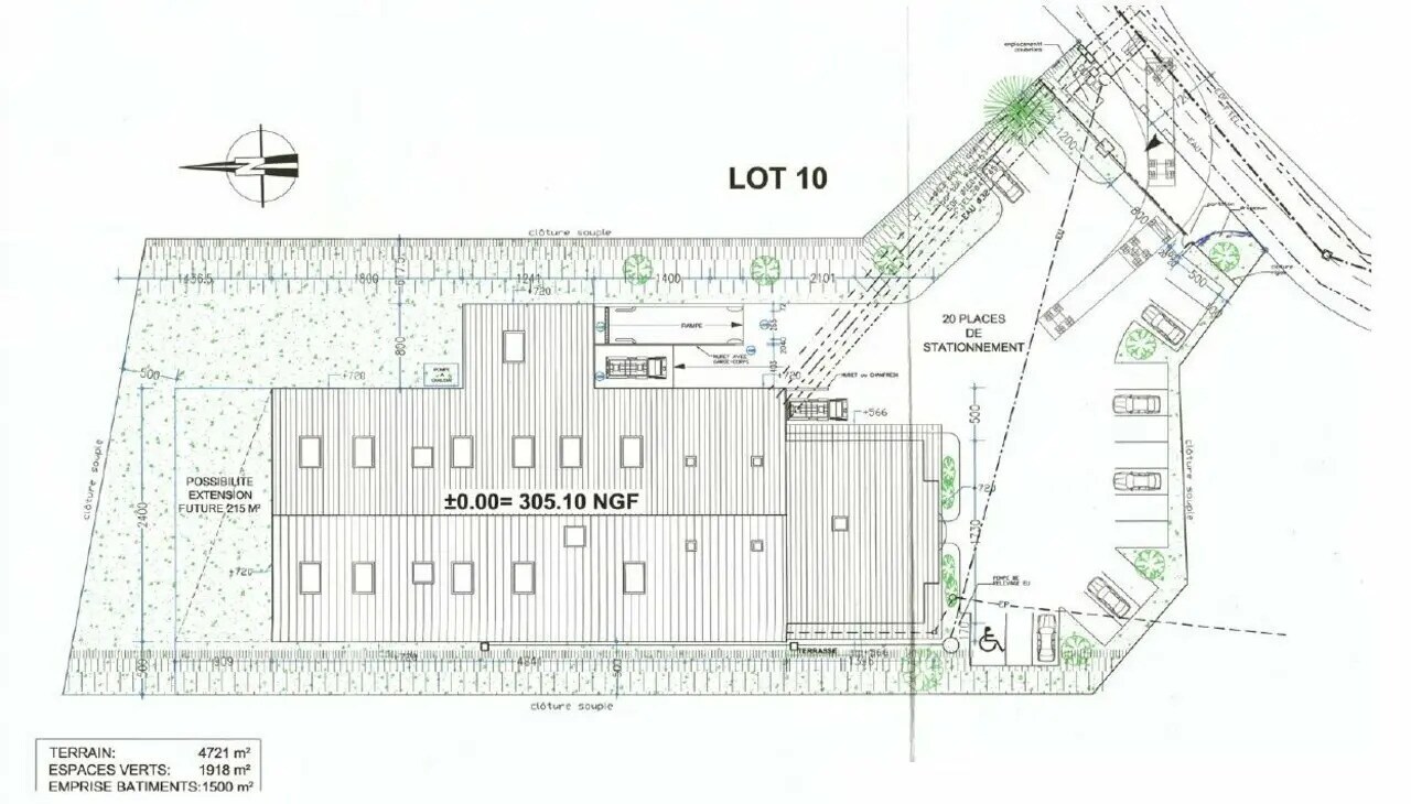
À Fleurieux-sur-L’Arbresle (69210), ORPI PRO propose à la vente ou à la location un local d’activités développant une surface totale de 1 980 m². Le bâtiment se compose de 1 180 m² de surfaces d’activités, de 760 m² de bureaux ainsi que d’un vestiaire indépendant de 40 m². L’ensemble constitue un outil immobilier mixte permettant d’associer activités industrielles ou artisanales et fonctions administratives sur un même site. La partie activité est conçue pour accueillir des flux professionnels et des véhicules de transport, avec un accès gros porteur, une charpente métallique et une façade en bardage double peau. Le bâtiment est équipé de deux portes sectionnelles ainsi que d’une porte à quai avec niveleur, offrant des solutions de chargement et de déchargement adaptées à différentes typologies d’exploitation. Un parking extérieur complète les aménagements, facilitant l’accueil des collaborateurs et des visiteurs. L’accès au site est sécurisé par un portail manuel. Les surfaces de bureaux, intégrées au bâtiment, permettent une exploitation administrative directe sur site. La présence d’un vestiaire dédié renforce l’adéquation du bien pour des activités nécessitant des équipements sociaux pour le personnel. L’ensemble est proposé dans le cadre d’un bail commercial 3/6/9 ans, avec une fiscalité assujettie à la TVA, une indexation annuelle sur l’indice ILAT et des loyers et charges payables trimestriellement d’avance. Le dépôt de garantie est fixé à trois mois de loyer HT HC et le préavis à six mois. Le bien est proposé à la location sur la base d’un loyer annuel de 198 000 € HT HC, correspondant à un loyer mensuel de 16 500 € HT HC, avec des honoraires preneur représentant 15 % du loyer annuel HT. Il est également proposé à la vente au prix de 3 000 000 € hors droits.
- Agency Fee: 15.00% of annual rent
- Includes 8,181 SF of dedicated office space
- 1 Loading Dock
- Secure Storage
- High Ceilings
- Exposed Ceiling
- Local d’activités mixte
- Portes sectionnelles et quai niveleur
- Security Deposit: 3 months of rent
- 2 Drive Ins
- Security System
- Emergency Lighting
- Yard
- Smoke Detector
- 1 180 m² d’activités, 760 m² de bureaux
- Parking extérieur
| Space | Size | Term | Rental Rate | Space Use | Build-Out | Available |
| Ground | 21,313 SF | 3/6/9 | $14.92 CAD/SF/YR HT-HC $1.24 CAD/SF/MO HT-HC $317,946 CAD/YR HT-HC $26,495 CAD/MO HT-HC | Flex | Full Build-Out | Now |
Ground
| Size |
| 21,313 SF |
| Term |
| 3/6/9 |
|
Rental Rate
|
| $14.92 CAD/SF/YR HT-HC $1.24 CAD/SF/MO HT-HC $317,946 CAD/YR HT-HC $26,495 CAD/MO HT-HC |
| Space Use |
| Flex |
| Build-Out |
| Full Build-Out |
| Available |
| Now |
Ground
| Size | 21,313 SF |
| Term | 3/6/9 |
|
Rental Rate
|
$14.92 CAD/SF/YR HT-HC |
| Space Use | Flex |
| Build-Out | Full Build-Out |
| Available | Now |
À Fleurieux-sur-L’Arbresle (69210), ORPI PRO propose à la vente ou à la location un local d’activités développant une surface totale de 1 980 m². Le bâtiment se compose de 1 180 m² de surfaces d’activités, de 760 m² de bureaux ainsi que d’un vestiaire indépendant de 40 m². L’ensemble constitue un outil immobilier mixte permettant d’associer activités industrielles ou artisanales et fonctions administratives sur un même site. La partie activité est conçue pour accueillir des flux professionnels et des véhicules de transport, avec un accès gros porteur, une charpente métallique et une façade en bardage double peau. Le bâtiment est équipé de deux portes sectionnelles ainsi que d’une porte à quai avec niveleur, offrant des solutions de chargement et de déchargement adaptées à différentes typologies d’exploitation. Un parking extérieur complète les aménagements, facilitant l’accueil des collaborateurs et des visiteurs. L’accès au site est sécurisé par un portail manuel. Les surfaces de bureaux, intégrées au bâtiment, permettent une exploitation administrative directe sur site. La présence d’un vestiaire dédié renforce l’adéquation du bien pour des activités nécessitant des équipements sociaux pour le personnel. L’ensemble est proposé dans le cadre d’un bail commercial 3/6/9 ans, avec une fiscalité assujettie à la TVA, une indexation annuelle sur l’indice ILAT et des loyers et charges payables trimestriellement d’avance. Le dépôt de garantie est fixé à trois mois de loyer HT HC et le préavis à six mois. Le bien est proposé à la location sur la base d’un loyer annuel de 198 000 € HT HC, correspondant à un loyer mensuel de 16 500 € HT HC, avec des honoraires preneur représentant 15 % du loyer annuel HT. Il est également proposé à la vente au prix de 3 000 000 € hors droits.
- Agency Fee: 15.00% of annual rent
- Security Deposit: 3 months of rent
- Includes 8,181 SF of dedicated office space
- 2 Drive Ins
- 1 Loading Dock
- Security System
- Secure Storage
- Emergency Lighting
- High Ceilings
- Yard
- Exposed Ceiling
- Smoke Detector
- Local d’activités mixte
- 1 180 m² d’activités, 760 m² de bureaux
- Portes sectionnelles et quai niveleur
- Parking extérieur
Property Overview
ORPI PRO offers for rent a commercial property of 1,980 m² located in the town of Fleurieux-sur-L'Arbresle. The building includes 1,180 m² of activity space, 760 m² of office space, and a 40 m² locker room. Feel free to contact us for more information. - Lease type: Commercial - Duration: 3/6/9 years - Notice period: 6 months - Taxation: VAT - Index: ILAT - Indexation: Annual, effective date - Security deposit: 3 months excl. VAT/excl. charges - Rent and charges: Quarterly, paid in advance
Property Facts
Presented by
"69210 Fleurieux-sur-l'Arbresle"
Hmm, there seems to have been an error sending your message. Please try again.
Thanks! Your message was sent.



