Log In/Sign Up
Your email has been sent.
EXECUTIVE SUMMARY
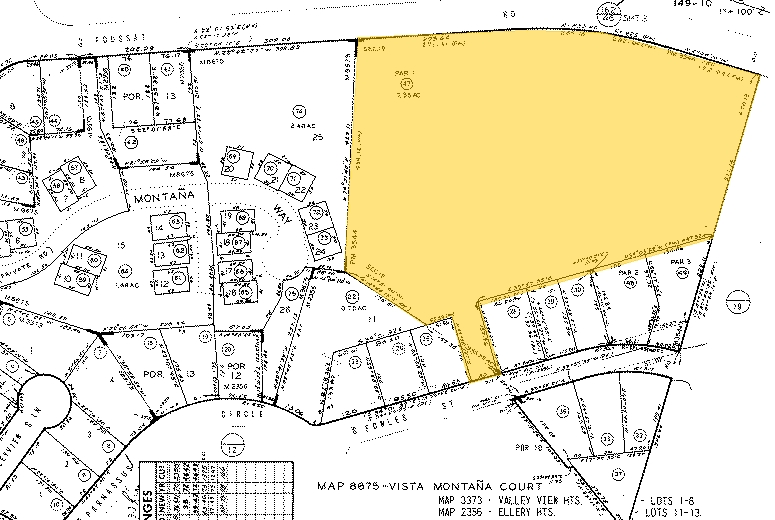
Oceanside Residential Development Opportunity For Sale
PROPERTY FACTS
| Sale Type | Investment | Property Subtype | Residential |
| No. Lots | 1 | Proposed Use | Single Family Development |
| Property Type | Land | Total Lot Size | 7.35 AC |
| Zoning | RS - Residential | ||
| Sale Type | Investment |
| No. Lots | 1 |
| Property Type | Land |
| Property Subtype | Residential |
| Proposed Use | Single Family Development |
| Total Lot Size | 7.35 AC |
| Zoning | RS - Residential |
1 LOT AVAILABLE
Lot
| Lot Size | 7.35 AC |
| Lot Size | 7.35 AC |
• Rare Oceanside Residential Development Opportunity • Land Constrained Beach City • Utilities Located Nearby (Verify) • Existing Infrastructure Including Public Roads • Surrounded by Existing Single Family Residential Homes • Located near I-5
1 1
PROPERTY TAXES
| Parcel Number | 149-100-47 | Improvements Assessment | $0 CAD |
| Land Assessment | $1,119,400 CAD | Total Assessment | $1,119,400 CAD |
PROPERTY TAXES
Parcel Number
149-100-47
Land Assessment
$1,119,400 CAD
Improvements Assessment
$0 CAD
Total Assessment
$1,119,400 CAD
1 of 6
VIDEOS
MATTERPORT 3D EXTERIOR
MATTERPORT 3D TOUR
PHOTOS
STREET VIEW
STREET
MAP
1 of 1
Presented by
Fowles St - SW Foussat Rd / NE Fowles St
Already a member? Log In
Hmm, there seems to have been an error sending your message. Please try again.
Thanks! Your message was sent.



