Log In/Sign Up
Your email has been sent.
Investment Highlights
- ZONED : MULTIFAMILY : MUCH NEEDED IN HAVELOCK, NORTH CAROLINA
- ONE BLOCK IN OFF US HIGHWAY 70 EAST : ON THE WAY TO THE BEACH !
- CRAVEN COUNTY POPULATION : 100,874 ( 2022) POPULATION BOOMING EACH YEAR
- WATER, SEWER, ELECTRIC AVAILABLE
- CLOSE PROXIMITY TO CHERRY POINT MARINE AIR BASE
- COMMERCIAL SHOPPING, RESTAURANTS, SERVICES ON HIGHWAY 70 , HAVELOCK, NORTH CAROLINA
Executive Summary
CALL ALL DEVELOPERS ! HIGHLY NEEDED MULTIFAMILY : HAVELOCK, NORTH CAROLINA : CLOSE PROXIMITY TO CHERRY POINT MARINE AIR BASE: ONE BLOCK OFF US HIGHWAY 70 EAST. DEVELOPMENT INVESTMENT PROPERTY : CONCEPTUAL DRAWINGS FOR 240 UNIT APARTMENT COMPLEX WITH AMENITIES OR SINGLE 59 FAMILY HOMES. WATER, SEWER, ELECTRICMCAS CHERRY POINT HAS BEEN IDENTIFIED BY DOD AS A CRITICAL
INSTALLATION AND GROWING.
- CONSTRUCTION UNDERWAY TO HOUSE 6 FULL SQUADRONS OF F 35 JETS.
- MAJOR DOD CONTRACTORS MAINTAIN PHYSICAL PRESENCE INCLUDING
BOEING, LOCKHEED MARTIN, RATHEON AND SIKORSKY.ON STREET IN FRONT OF PROPERTY : ACROSS THE STREET FROM FOX RIDGE SUBDIVISION, HAVELOCK, NC .CRAVEN COUNTY , POPULATION : 100,874. : US CORPS OF ENGINEERS LETTER : ALL UPLAND : SHOPPING, RESTAURANTS, ON THE WAY TO THE BEACH ! CITY OF HAVELOCK :
INSTALLATION AND GROWING.
- CONSTRUCTION UNDERWAY TO HOUSE 6 FULL SQUADRONS OF F 35 JETS.
- MAJOR DOD CONTRACTORS MAINTAIN PHYSICAL PRESENCE INCLUDING
BOEING, LOCKHEED MARTIN, RATHEON AND SIKORSKY.ON STREET IN FRONT OF PROPERTY : ACROSS THE STREET FROM FOX RIDGE SUBDIVISION, HAVELOCK, NC .CRAVEN COUNTY , POPULATION : 100,874. : US CORPS OF ENGINEERS LETTER : ALL UPLAND : SHOPPING, RESTAURANTS, ON THE WAY TO THE BEACH ! CITY OF HAVELOCK :
Data Room Click Here to Access
- Offering Memorandum
Property Facts
| Price | $1,232,739 CAD | Property Subtype | Residential |
| Sale Type | Investment or Owner User | Proposed Use | |
| No. Lots | 1 | Total Lot Size | 28.35 AC |
| Property Type | Land | ||
| Zoning | RM MULTIFAMILY - MULTIFAMILY | ||
| Price | $1,232,739 CAD |
| Sale Type | Investment or Owner User |
| No. Lots | 1 |
| Property Type | Land |
| Property Subtype | Residential |
| Proposed Use | |
| Total Lot Size | 28.35 AC |
| Zoning | RM MULTIFAMILY - MULTIFAMILY |
1 Lot Available
Lot 0
| Price | $1,232,739 CAD | Lot Size | 28.35 AC |
| Price Per AC | $43,482.86 CAD |
| Price | $1,232,739 CAD |
| Price Per AC | $43,482.86 CAD |
| Lot Size | 28.35 AC |
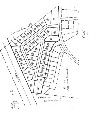
28+ ACRES FOR RESIDENTIAL OR MULTIFAMILY DEVELOPMENT : ALL UPLANDS : WATER, SEWER, ELECTRIC : SEE RENDERINGS FOR 56-59 HOMES : PRIME LOCATION : HAVELOCK, NORTH CAROLINA : CLOSE PROXIMITY TO CHRRY POINT MARINE BASE: BUILD 1500-3000 SQ.FT. HOMES :
Description
CLOSE PROXIMITY TO CHERRY POINT MARINE AIR BASE: ONE BLOCK OFF US HIGHWAY 70 EAST. DEVELOPMENT INVESTMENT PROPERTY : CONCEPTUAL DRAWINGS FOR 240 UNIT APARTMENT COMPLEX WITH AMENITIES OR SINGLE 59 FAMILY HOMES. WATER, SEWER, ELECTRICMCAS CHERRY POINT HAS BEEN IDENTIFIED BY DOD AS A CRITICAL INSTALLATION AND GROWING.
1 1
Somewhat walkable
30/100
Exceptionally drivable
90/100
Somewhat bikeable
30/100
Property Taxes
| Parcel Number | 6-057-004 | Improvements Assessment | $0 CAD |
| Land Assessment | $325,178 CAD | Total Assessment | $325,178 CAD |
Property Taxes
Parcel Number
6-057-004
Land Assessment
$325,178 CAD
Improvements Assessment
$0 CAD
Total Assessment
$325,178 CAD
1 of 4
Videos
Matterport 3D Exterior
Matterport 3D Tour
Photos
Street View
Street
Map
1 of 1
Presented by
Fox Ridge Ct
Already a member? Log In
Hmm, there seems to have been an error sending your message. Please try again.
Thanks! Your message was sent.



