Your email has been sent.
Investment Highlights
- All Utilities at property
- 5 parcels totaling 85 +/- Acres
- Last large infill lot in Yuba City
- Located at very busy intersection and a few blocks from CA 99 access
Executive Summary
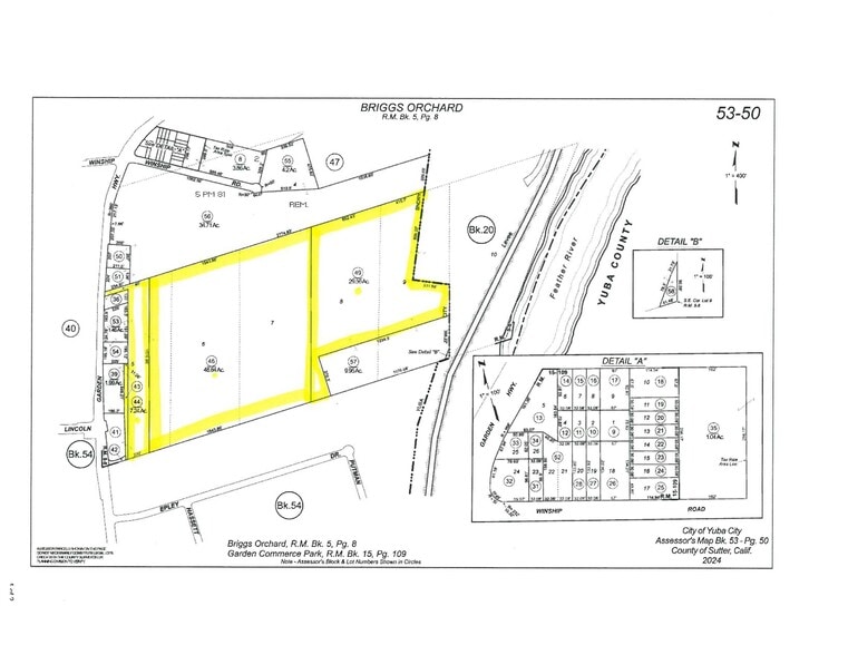
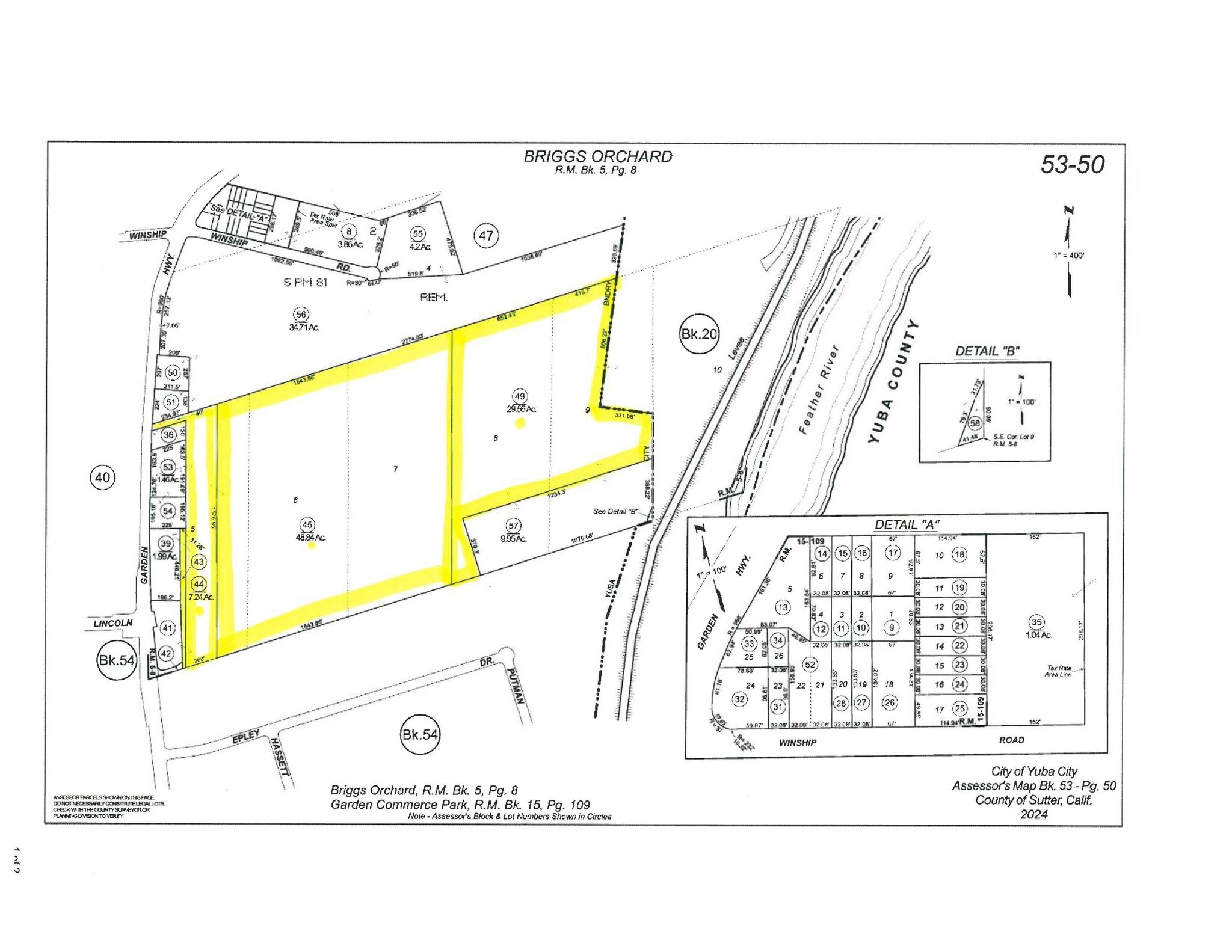
Property Facts
| Price | $23,415,024 CAD | Property Type | Land |
| Sale Type | Investment | Property Subtype | Commercial |
| No. Lots | 1 | Total Lot Size | 85.00 AC |
| Price | $23,415,024 CAD |
| Sale Type | Investment |
| No. Lots | 1 |
| Property Type | Land |
| Property Subtype | Commercial |
| Total Lot Size | 85.00 AC |
1 Lot Available
Lot
| Price | $23,415,024 CAD | Lot Size | 85.00 AC |
| Price Per AC | $275,470.87 CAD |
| Price | $23,415,024 CAD |
| Price Per AC | $275,470.87 CAD |
| Lot Size | 85.00 AC |
85 +/- Acres of land 5 parcels. Located on a major thoroughfare, and just a few blocks from CA 99
Description
Yuba City was named top ten fastest growing cities in California, and Sutter County #1 fastest growing county by the California Department of Finance in 2024. Located in the Sacramento Valley, a 35 minute drive to Sacramento International Airport. Yuba City offers a vibrant multicultural community with a small town feel. Major employers include Sunsweet Growers, Beale Air Force Base, Rideout and Adventist Health, Sutter North Medical, Yuba City and Marysville Unified School Districts. Rivers and Lakes nearby, fishing, hiking, biking, hunting, and golf courses, Yuba City has plenty to offer residents. Surrounded by farmland of peaches, almonds, rice and walnuts, there is also a strong farm community. Current population of Yuba City is 70,223 and Sutter County is 90,948
Presented by
Garden Highway
Hmm, there seems to have been an error sending your message. Please try again.
Thanks! Your message was sent.




