Log In/Sign Up
Your email has been sent.
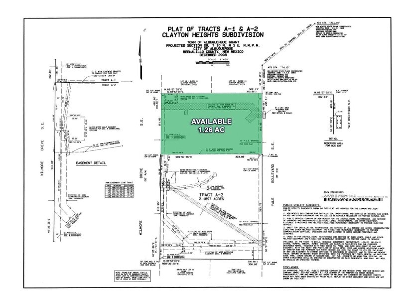
Gibson Blvd & Yale Blvd 1.26 Acres of Commercial Land Offered at $1,130,633 CAD in Albuquerque, NM 87106



Investment Highlights
- MX-M Zoned land in the Airport Submarket
- Booming retail corridor with newly constructed Raising Cane’s Starbucks, Dutch Bros, Whataburger, Del Taco, and more!
- Major employers ABQ Sunport, Kirtland Air Force Base, Sandia National Labs, UNM
- Zoning allows for retail drive-thru and multifamily (medium density mixed use
Executive Summary
This site offers great accessibility to Interstate I-25 from the intersection of Yale and Gibson Blvd. Situated close to Albuquerque International Airport, Kirkland Air-force Base, Sandia National Laboratories, the University of New Mexico and other high employment income institutions. This site is also very close to new Max Q and Lobo Crossing developments. This site is near new national and local restaurant development including Dion’s, Chick-Fil-A, Chili’s, Buffalo Wild Wings, Blake’s Lotaburger and many more!
Property Facts
| Price | $1,130,633 CAD | Property Subtype | Commercial |
| Sale Type | Investment | Proposed Use | |
| No. Lots | 1 | Total Lot Size | 1.26 AC |
| Property Type | Land | Opportunity Zone |
Yes
|
| Zoning | MX-M - Moderate Intensity | ||
| Price | $1,130,633 CAD |
| Sale Type | Investment |
| No. Lots | 1 |
| Property Type | Land |
| Property Subtype | Commercial |
| Proposed Use | |
| Total Lot Size | 1.26 AC |
| Opportunity Zone |
Yes |
| Zoning | MX-M - Moderate Intensity |
1 Lot Available
Lot
| Price | $1,130,633 CAD | Lot Size | 1.26 AC |
| Price Per AC | $897,327.68 CAD |
| Price | $1,130,633 CAD |
| Price Per AC | $897,327.68 CAD |
| Lot Size | 1.26 AC |
Strategically located at the bustling intersection of Yale and Gibson Boulevards in SE Albuquerque. This site offers high visibility and easy access.
1 1
Fairly walkable
50/100
Exceptionally drivable
90/100
Limited public transit
30/100
Fairly bikeable
50/100
Property Taxes
| Parcel Number | 1-015-056-536097-4-05-04 | Improvements Assessment | $0 CAD |
| Land Assessment | $91,191 CAD | Total Assessment | $91,191 CAD |
Property Taxes
Parcel Number
1-015-056-536097-4-05-04
Land Assessment
$91,191 CAD
Improvements Assessment
$0 CAD
Total Assessment
$91,191 CAD
1 of 7
Videos
Matterport 3D Exterior
Matterport 3D Tour
Photos
Street View
Street
Map
1 of 1
Presented by
Gibson Blvd & Yale Blvd
Already a member? Log In
Hmm, there seems to have been an error sending your message. Please try again.
Thanks! Your message was sent.
