Log In/Sign Up
Your email has been sent.
Investment Highlights
- Great access to Land site
- Great Transport Links.
- level plot
Executive Summary
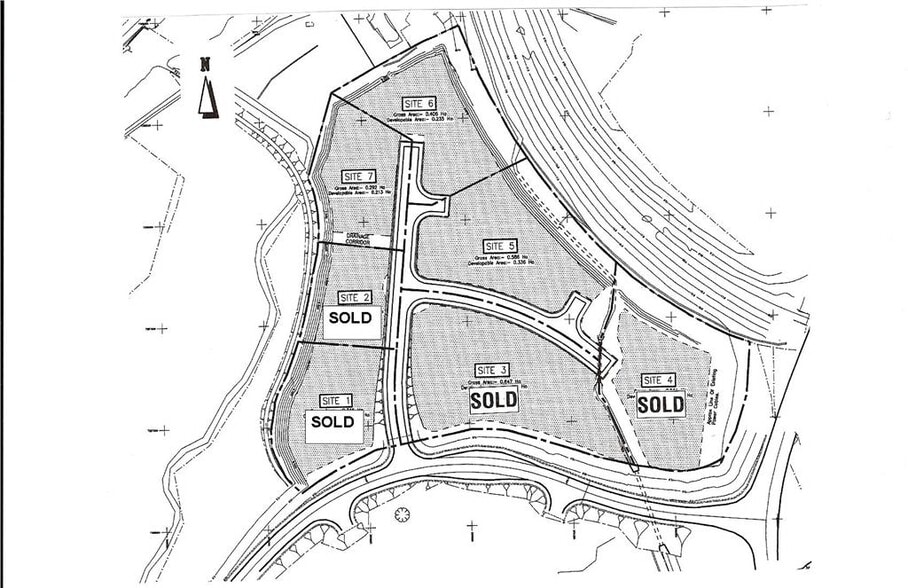
The available site comprises 1 acre land for a business development.
The freehold interest is available. The site has been developed as a business park and it is anticipated that it will be utilised for uses falling within Classes 2 and 4 of the Town and Country Planning (Use Classes) (Scotland) Order 1997. This permits use of the site for financial, professional and other services and for business. Any development of course would be subject to planning consent. The owners are anxious to ensure that the business park is developed to a high standard and will contain prestigious and clean business uses. Accordingly the use of the sites will be of importance to them and any offer to buy should give full details of the purchasers intention for the site. In addition the design of the buildings will be an important consideration and particular attention will be required to the finishes used in the buildings and landscaping. Interested parties would also require to make their own investigations with the planning authority.
The freehold interest is available. The site has been developed as a business park and it is anticipated that it will be utilised for uses falling within Classes 2 and 4 of the Town and Country Planning (Use Classes) (Scotland) Order 1997. This permits use of the site for financial, professional and other services and for business. Any development of course would be subject to planning consent. The owners are anxious to ensure that the business park is developed to a high standard and will contain prestigious and clean business uses. Accordingly the use of the sites will be of importance to them and any offer to buy should give full details of the purchasers intention for the site. In addition the design of the buildings will be an important consideration and particular attention will be required to the finishes used in the buildings and landscaping. Interested parties would also require to make their own investigations with the planning authority.
Property Facts Sale Pending
| Price | $105,529 CAD | Property Type | Land |
| Sale Type | Owner User | Property Subtype | Commercial |
| Tenure | Freehold | Proposed Use | Commercial |
| No. Lots | 1 | Total Lot Size | 1.00 AC |
| Price | $105,529 CAD |
| Sale Type | Owner User |
| Tenure | Freehold |
| No. Lots | 1 |
| Property Type | Land |
| Property Subtype | Commercial |
| Proposed Use | Commercial |
| Total Lot Size | 1.00 AC |
1 Lot Available
Lot Area 6
| Price | $105,529 CAD | Lot Size | 1.00 AC |
| Price Per AC | $105,529.01 CAD |
| Price | $105,529 CAD |
| Price Per AC | $105,529.01 CAD |
| Lot Size | 1.00 AC |
The sites have been prepared including installation of the infrastructure of roads, lighting, water, electricity and drainage connections. The sites have surface material that requires removal prior to development.
Description
The subjects comprise 2 areas of land available for development.
1 1
1 of 3
Videos
Matterport 3D Exterior
Matterport 3D Tour
Photos
Street View
Street
Map
1 of 1
Presented by
Company Not Provided
Glengallan Rd - Site 6
Already a member? Log In
Hmm, there seems to have been an error sending your message. Please try again.
Thanks! Your message was sent.


