Your email has been sent.
Greens Prairie Rd & Creek Meadow Blvd - Commercial Land in Creek Meadows Development 5.65 Acres of Commercial Land in College Station, TX 77845



Investment Highlights
- Large commercial tract ready for immediate development
- Situated in close proximity to Greens Prairie Elementary as well as Pecan Ridge Intermediate and Middle School
- Greens Prairie Trail improved to a four lane divided roadway with curbs and gutters, and left and right turn lanes
- Located within Creek Meadows master planned community
- Quick access to FM 2154 (Wellborn Road ) and State Highway 40 (William D. Fitch Parkway)
- Only neighborhood infill commercial tract available on Greens Prairie Trail within proximity to 3,500 single family residences
Property Facts
| Sale Type | Investment | Proposed Use | |
| No. Lots | 1 | Total Lot Size | 5.65 AC |
| Property Type | Land | No. Stories | 2 |
| Property Subtype | Commercial | ||
| Zoning | PDD - Planned Development District | ||
| Sale Type | Investment |
| No. Lots | 1 |
| Property Type | Land |
| Property Subtype | Commercial |
| Proposed Use | |
| Total Lot Size | 5.65 AC |
| No. Stories | 2 |
| Zoning | PDD - Planned Development District |
1 Lot Available
Lot
| Lot Size | 5.65 AC |
| Lot Size | 5.65 AC |
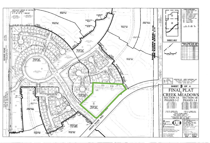
Lot 1, Block 1, Sec 1B, Phase 1, Creek Meadows
Description
Large commercial tracts ready for immediate development. Located within Creek Meadows master planned community. Situated in close proximity to Greens Prairie Elementary as well as Pecan Ridge Intermediate and Middle School. Quick access to FM 2154 (Wellborn Road) and Highway 40 (William D. Fitch Parkway). Greens Prairie Trail improved to four lane divided roadway with curbs and gutters, and left and right turn lanes. Only neighborhood infill commercial tract available on Greens Prairie Trail within proximity to 3,500 single family residences (Castlegate, Greens Prairie Reserve, Creek Meadows, and Wellborn Settlement).
Property Taxes
| Parcel Number | 305091 | Improvements Assessment | $212,530 CAD |
| Land Assessment | $67,669 CAD | Total Assessment | $280,199 CAD |
Property Taxes
Presented by
Greens Prairie Rd & Creek Meadow Blvd - Commercial Land in Creek Meadows Development
Hmm, there seems to have been an error sending your message. Please try again.
Thanks! Your message was sent.

