Your email has been sent.
Halton Rd - Halton @ Mall Connector roads 1.3 Acres of Commercial Land in Greenville, SC 29607


Investment Highlights
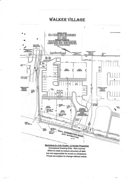
- Walker Village is planned along Mall Connector Road to be located next to new Southern Eye Medical Office which shares an existing drive entrance
Executive Summary
Property Facts
| Sale Type | Investment or Owner User | Proposed Use | |
| No. Lots | 1 | Total Lot Size | 1.30 AC |
| Property Type | Land | Cross Streets | Mall Connector Road |
| Property Subtype | Commercial | ||
| Zoning | B-G | ||
| Sale Type | Investment or Owner User |
| No. Lots | 1 |
| Property Type | Land |
| Property Subtype | Commercial |
| Proposed Use | |
| Total Lot Size | 1.30 AC |
| Cross Streets | Mall Connector Road |
| Zoning | B-G |
1 Lot Available
Lot
| Lot Size | 1.30 AC |
| Lot Size | 1.30 AC |
Conveniently located between the Haywood Mall and Woodruff Road retail corridors, Eastside office & medical facilities and the growing Verdae development.
Description
In search of commercial land for your office/retail location? Phase I Plan develop Lot A & B area fronting Mall Connector Road (see attached site plan) Contact us for information regarding land for sale "as is" for planned " 4 lot Office/Retail subdivision "Walker Village". Joseph (Jody) Hunter, BIC John ( J ) Austin, BIC JJ Hunter Properties LCM Property (864) 608-1183 (m) 864-444-1457 (m)
Property Taxes
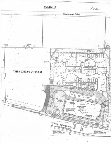
| Parcel Number | 0260.00-01-013.05 | Improvements Assessment | $0 CAD |
| Land Assessment | $31,547 CAD | Total Assessment | $31,547 CAD |
Property Taxes
Presented by
J.J. Hunter Properties
Halton Rd - Halton @ Mall Connector roads
Hmm, there seems to have been an error sending your message. Please try again.
Thanks! Your message was sent.
