Log In/Sign Up
Your email has been sent.
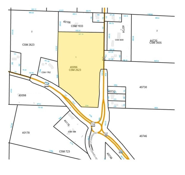
Highway 114 & Highway 55 13.48 Acres of Commercial Land in Hilbert, WI 54129


Executive Summary
Purchase Price: $50,000 - $70,000 per Acre.
Property Facts
| Sale Type | Investment | Property Subtype | Commercial |
| No. Lots | 1 | Total Lot Size | 13.48 AC |
| Property Type | Land |
| Sale Type | Investment |
| No. Lots | 1 |
| Property Type | Land |
| Property Subtype | Commercial |
| Total Lot Size | 13.48 AC |
1 Lot Available
Lot
| Lot Size | 13.48 AC |
| Lot Size | 13.48 AC |
Land for future development at busy intersection. Great visibility. Strong traffic counts.
1 1
Not walkable
10/100
Exceptionally drivable
100/100
Somewhat bikeable
20/100
Property Taxes
| Parcel Number | 40868 | Improvements Assessment | $0 CAD |
| Land Assessment | $5,492 CAD | Total Assessment | $5,492 CAD |
Property Taxes
Parcel Number
40868
Land Assessment
$5,492 CAD
Improvements Assessment
$0 CAD
Total Assessment
$5,492 CAD
1 of 3
Videos
Matterport 3D Exterior
Matterport 3D Tour
Photos
Street View
Street
Map
1 of 1
Presented by
Highway 114 & Highway 55
Already a member? Log In
Hmm, there seems to have been an error sending your message. Please try again.
Thanks! Your message was sent.
