Your email has been sent.
Highway 160 Land (4 way lighted intersections) - 2 lighted highway access 1 - 57.58 Acre Commercial Land Lots in Pagosa Springs, CO 81147



Investment Highlights
- Highway frontage
- Mixed-use development
- Flexible zoning
Executive Summary
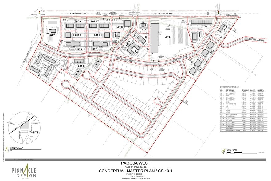
The Pagosa West Master Site Plan has opportunity for retail and commercial lots or pad sites sized to your specific use along US Highway 160 (with a traffic count of 20,000 cars per day). Parcel uses include hotel, grocery store, bank, office, retail, medical, storage, car wash, and convenience center. The commercial area will feature a town center atmosphere conveniently located near hotels and restaurants. Several of the commercial lots have frontage to Highway 160 and sit directly across from the Country Center Plaza on the north side which hosts City Market, retail offices, restaurants, liquor store and more. To the west is the Pagosa Springs Medical Center and Physical therapy building. On the northeast side of the property, there are additional retail/offices and restaurants including McDonalds. Walmart is one block east of Pagosa West. The interior of the property features Mixed-Use Residential zoning which allows for a range of residential housing types, including single-family residences, duplexes, patio homes, apartments, and live-work units.
Pagosa West represents an incredible development opportunity across nearly 100-acres in Pagosa Springs, Colorado. Pagosa Springs is known for it's four seasons and world-class outdoor recreation including skiing, hiking, fly fishing, and the world's deepest Hot Springs. Three different zoning areas across the property provide ample opportunity for mixed-use development. Developers are offering lots for sale, build-to-suit, and more. Pagosa West offers a premier commercial and residential location.
Call Shelley Low, Listing Broker of EXIT Realty Home & Ranch, at (970)946-0930 for more information.
Property Facts
2 Lots Available
Lot
| Lot Size | 1.00 AC |
| Lot Size | 1.00 AC |
Commercial lots available ranging from 1 - 42.18 acres. Property size is flexible to meet your needs. Pad sites, build-to-suit, for-sale. Highway frontage with two lighted signals. Zoning allows for multiple types of commercial use.
Lot
| Lot Size | 57.58 AC |
| Lot Size | 57.58 AC |
Commercial & Mixed use residential offers a prime development opportunity. The 58 acre portion for single-family residences, duplexes, patio homes, apartments, and live-work units (all are approved uses). Buy all or part based on your project need.
Description
Highway Frontage Commercial Lots for Sale - 42 Acres Flexible Acreage. Premier Hwy 160 Exposure. Currently the size of the parcels being sold/ to be sold are flexible. Prime Commercial Development Opportunity in Pagosa Springs, CO Discover an unparalleled opportunity to develop in one of Colorado’s most sought-after destinations. Located along highly visible Hwy 160, Pagosa West offers premium highway frontage and a location primed for success. Pagosa Springs, renowned for its four-season outdoor lifestyle, skiing, world-class hot springs, fishing, and unrivaled mountain views, is the perfect backdrop for your next venture. Why This Property? - Strategic Location: Approximately 42 acres boast excellent frontage on Hwy 160. These lots are situated directly across from the bustling Country Center Plaza, home to the Pagosa Springs Medical Center, City Market, restaurants, retail offices, and more. Neighboring businesses include McDonald’s, Walmart, and gas stations. - Flexible Development Options: Whether you're looking to build-to-suit or purchase acreage, this property offers zoning flexibility for commercial, mixed-use, and residential purposes. - Infrastructure Ready: Water, sewer, electric, and natural gas are available, with paved roads and signalized intersections (3-way and 4-way lights) ensuring seamless access. - Endless Possibilities: Ideal for drive-thru coffee shops, fast food, medical facilities, retail spaces, fresh markets, or even a full-service car wash—the opportunities are endless! Experience Pagosa Springs This property is located in the heart of a thriving tourist destination. Attract locals and visitors drawn to the area's world-famous hot springs, world-class outdoor activities like skiing, hiking, and fishing, and a growing culinary and wellness scene. Whether you're strolling the San Juan Riverwalk, dining at farm-to-table restaurants, or relaxing in geothermal spas, Pagosa Springs delivers unmatched charm and foot traffic for your business. Seize the Opportunity Don’t miss the chance to secure one of the last prime commercial properties in this booming market. Call Shelley Low at EXIT Realty Home & Ranch today at (970) 946-0930 for more details and to discuss how this exceptional property can meet your development needs.
Property Taxes
| Parcel Numbers | Improvements Assessment | $0 CAD | |
| Land Assessment | $799,820 CAD | Total Assessment | $799,820 CAD |
Property Taxes
Presented by
Highway 160 Land (4 way lighted intersections) - 2 lighted highway access
Hmm, there seems to have been an error sending your message. Please try again.
Thanks! Your message was sent.

