Log In/Sign Up
Your email has been sent.
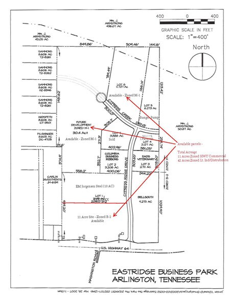
Highway 64 - Eastridge Business Park Commercial/Industrial 4 Acres of Commercial Land in Eads, TN 38028



Investment Highlights
- Eastridge Business Park
- 4 acre minimum parcels available
- City of Arlington
- Commercial/Industrial
- High Traffic Counts
- Approx. 1 mile from Hwy 385
Executive Summary
3 tracts available
10.4 acres with Highway Frontage. Zoned B-2 for commercial development.
11.71 AC tract zoned M-1 for industrial type use. This can be subdivided into smaller acreage starting at 4 acres.
15.5 AC undeveloped tract zoned M-1 for industrial use.
All Properties may be subdivided depending on size need. Price negotiable for any subdivision. Price based on sale of entire acreage .
Highway 64 just west of County Line with Fayette County.
Minimum of 4 acres required for subdivision due to lack of sewer system.
10.4 acres with Highway Frontage. Zoned B-2 for commercial development.
11.71 AC tract zoned M-1 for industrial type use. This can be subdivided into smaller acreage starting at 4 acres.
15.5 AC undeveloped tract zoned M-1 for industrial use.
All Properties may be subdivided depending on size need. Price negotiable for any subdivision. Price based on sale of entire acreage .
Highway 64 just west of County Line with Fayette County.
Minimum of 4 acres required for subdivision due to lack of sewer system.
Property Facts
| Sale Type | Investment | Property Subtype | Commercial |
| Sale Condition | Bulk/Portfolio Sale | Proposed Use | |
| No. Lots | 1 | Total Lot Size | 4.00 AC |
| Property Type | Land | ||
| Zoning | M1 - Industrial | ||
| Sale Type | Investment |
| Sale Condition | Bulk/Portfolio Sale |
| No. Lots | 1 |
| Property Type | Land |
| Property Subtype | Commercial |
| Proposed Use | |
| Total Lot Size | 4.00 AC |
| Zoning | M1 - Industrial |
1 Lot Available
Lot
| Lot Size | 4.00 AC |
| Lot Size | 4.00 AC |
Approximately 15 acres residual from 30 acre tract in cove. Raw land and Seller is willing to negotiate on the price. Delta Industries bought the other 15 acres in 2022. Can be subdivided into 4+ acre lots.
1 1
Not walkable
10/100
Exceptionally drivable
100/100
Somewhat bikeable
20/100
1 of 6
Videos
Matterport 3D Exterior
Matterport 3D Tour
Photos
Street View
Street
Map
1 of 1
Presented by
Highway 64 - Eastridge Business Park Commercial/Industrial
Already a member? Log In
Hmm, there seems to have been an error sending your message. Please try again.
Thanks! Your message was sent.
