Log In/Sign Up
Your email has been sent.
EXECUTIVE SUMMARY
• Excellent retail pads available with frontage
• Great opportunity in rear of site for MF, Storage, or Flex Development
• Excellent visibility
• High traffic corridor
• Great opportunity in rear of site for MF, Storage, or Flex Development
• Excellent visibility
• High traffic corridor
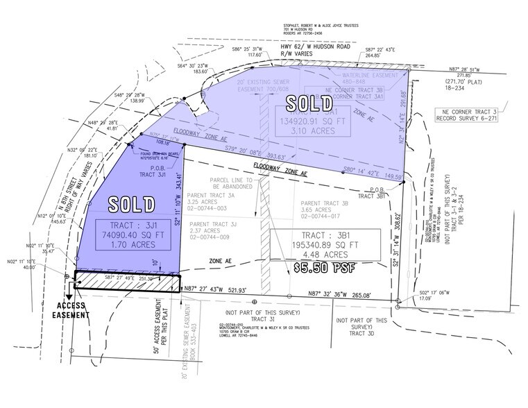
PROPERTY FACTS
| Price | $1,484,817 CAD | Property Subtype | Commercial |
| Sale Type | Investment | Proposed Use | Commercial |
| No. Lots | 1 | Total Lot Size | 4.48 AC |
| Property Type | Land | Opportunity Zone |
Yes
|
| Price | $1,484,817 CAD |
| Sale Type | Investment |
| No. Lots | 1 |
| Property Type | Land |
| Property Subtype | Commercial |
| Proposed Use | Commercial |
| Total Lot Size | 4.48 AC |
| Opportunity Zone |
Yes |
1 LOT AVAILABLE
Lot 3B
| Price | $1,484,817 CAD | Lot Size | 4.48 AC |
| Price Per AC | $331,432.44 CAD |
| Price | $1,484,817 CAD |
| Price Per AC | $331,432.44 CAD |
| Lot Size | 4.48 AC |
• Excellent retail pads available with frontage • Great opportunity in rear of site for MF, Storage, or Flex Development • Excellent visibility • High traffic corridor
1 of 6
VIDEOS
MATTERPORT 3D EXTERIOR
MATTERPORT 3D TOUR
PHOTOS
STREET VIEW
STREET
MAP
Presented by
Hudson Rd & 8th St Rd
Already a member? Log In
Hmm, there seems to have been an error sending your message. Please try again.
Thanks! Your message was sent.




