Log In/Sign Up
Your email has been sent.
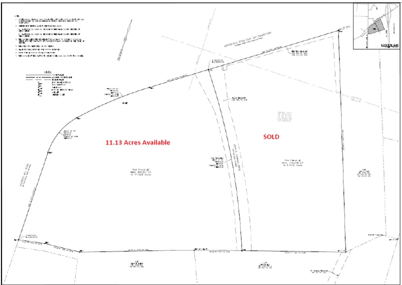
Investment Highlights
- Located close to I-75
- City utilities are available
- Property is at the corner of Housers Mill and Hwy 247 Connector
- Prime location with great visibility
Executive Summary
11.13 acres of commercial property zoned C2, annexed into the City of Warner Robins with city utilities available. Frontage on Housers Mill Road and Hwy 247 Connector. Will subdivide. Contact Broker for details.
Property Facts
1 Lot Available
Lot
| Lot Size | 11.13 AC |
| Lot Size | 11.13 AC |
11.13 acres of commercial property zoned C2, annexed into the City of Warner Robins with city utilities available. Frontage on Housers Mill Road and Hwy 247 Connector. Will subdivide. Contact Broker for details.
1 1
Somewhat walkable
20/100
Exceptionally drivable
100/100
Not bikeable
10/100
1 of 3
Videos
Matterport 3D Exterior
Matterport 3D Tour
Photos
Street View
Street
Map
1 of 1
Presented by
Hwy 247 Connector - Hwy 247 Connector
Already a member? Log In
Hmm, there seems to have been an error sending your message. Please try again.
Thanks! Your message was sent.


