Log In/Sign Up
Your email has been sent.
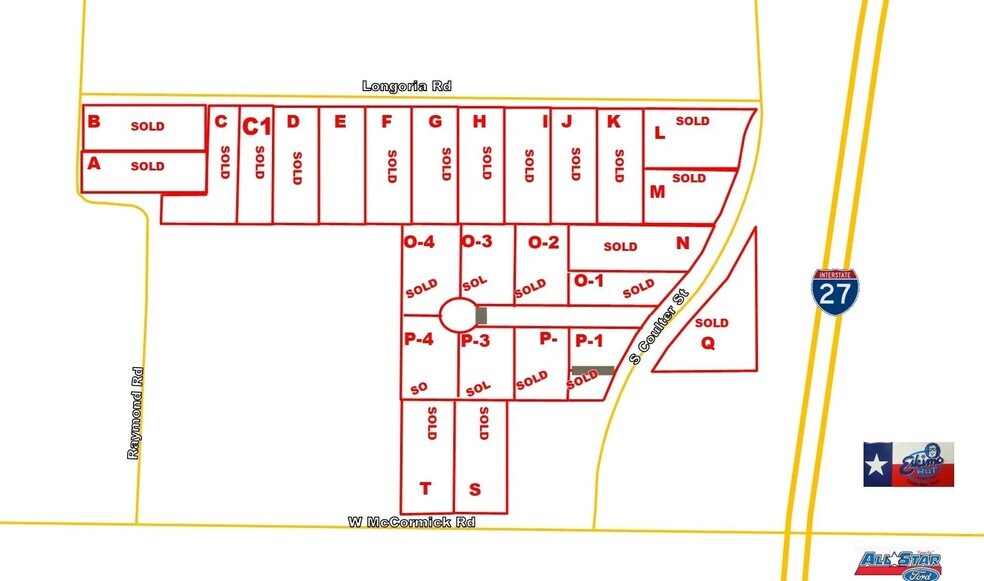
I-27 & S Coulter St
Amarillo, TX 79119
Land For Sale
·
1.60 AC


Investment Highlights
- Exceptional Location
- Each lot is primed and ready to accommodate your building needs
- Prime Platted Lots: An Investment Dream Near I-27
Executive Summary
Located just to the north of McCormick and a stone's throw west of I-27, these lots provide a convenient and strategic location. Situated south of Amarillo, they offer easy access to the city's amenities. A prime spot for those looking to benefit from proximity to major highways.
Property Facts
1 Lot Available
Lot E
| Price | $342,198 CAD | Lot Size | 1.60 AC |
| Price Per AC | $213,873.44 CAD |
| Price | $342,198 CAD |
| Price Per AC | $213,873.44 CAD |
| Lot Size | 1.60 AC |
1 of 3
Videos
Matterport 3D Exterior
Matterport 3D Tour
Photos
Street View
Street
Map
