Log In/Sign Up
Your email has been sent.
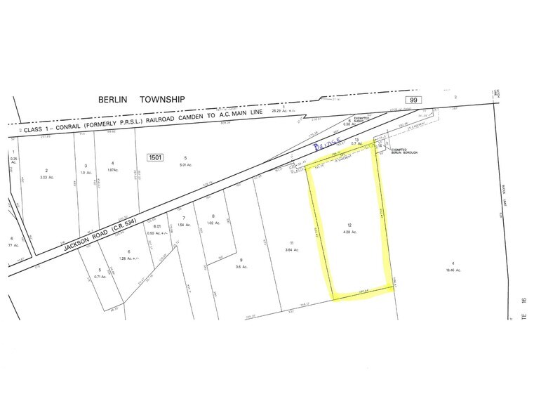
Jackson Rd
Berlin, NJ 08009
Lot 12 · Land For Sale
·
4.28 AC


Investment Highlights
- 340' frontage
- Easy access to highways
Executive Summary
4.2 acres in Berlin Boro, This parcel is in the redevelopment zone of Berlin Boro, Public sewer and water available, 340' frontage, Buyer must do their own due diligence, Seller or realtor make no representation, Just off Route 73 and White Horse Pike, Easy access to everywhere.
Property Facts
1 Lot Available
Lot
| Price | $138,861 CAD | Lot Size | 4.28 AC |
| Price Per AC | $32,444.16 CAD |
| Price | $138,861 CAD |
| Price Per AC | $32,444.16 CAD |
| Lot Size | 4.28 AC |
Vacant Land
Property Taxes
| Parcel Number | 05-01502-0000-00012 | Improvements Assessment | $0 CAD |
| Land Assessment | $181,157 CAD | Total Assessment | $181,157 CAD |
Property Taxes
Parcel Number
05-01502-0000-00012
Land Assessment
$181,157 CAD
Improvements Assessment
$0 CAD
Total Assessment
$181,157 CAD
1 of 3
Videos
Matterport 3D Exterior
Matterport 3D Tour
Photos
Street View
Street
Map
