Your email has been sent.
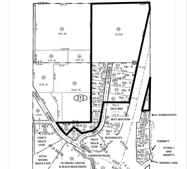
Lenwood I-15 Interchange
Barstow, CA 92311
22 lots. All or part. Large freeway frontage · Land For Sale
·
101.73 AC


Executive Summary
Property Facts
1 Lot Available
Lot
| Price | $103,002,423 CAD | Lot Size | 93.73 AC |
| Price Per AC | $1,098,926.95 CAD |
| Price | $103,002,423 CAD |
| Price Per AC | $1,098,926.95 CAD |
| Lot Size | 93.73 AC |
Description
A nearby Indian tribe recently received city support to put their land into trust in order to build a hotel/casino and the nearby area has been approved for cannabis cultivation and dispensaries, which will greatly increase property values in the area. This is a high- performing retail intersection and many of the retailers are in the top 3% of their chains. Over 2,100' of Interstate 15 frontage with 24 commercial lots from 1 to 36 acres. Most of the parcels are fully improved with street/curb/gutter/sewer/utilities and the remainder have sewer and utilities adjacent. Adjacent users include Pilot Truck Stop, Terrible Herbst/Chevron, Best Western, Days Inn and two new fast foods in planning on the west side of I-15 and Chipotle, Burger King, Panera Bread and Flying J Truck Stop on the east side of I-15..
Property Taxes
| Parcel Numbers | Improvements Assessment | $0 CAD | |
| Land Assessment | $1,803,927 CAD | Total Assessment | $1,803,927 CAD |
