Log In/Sign Up
Your email has been sent.
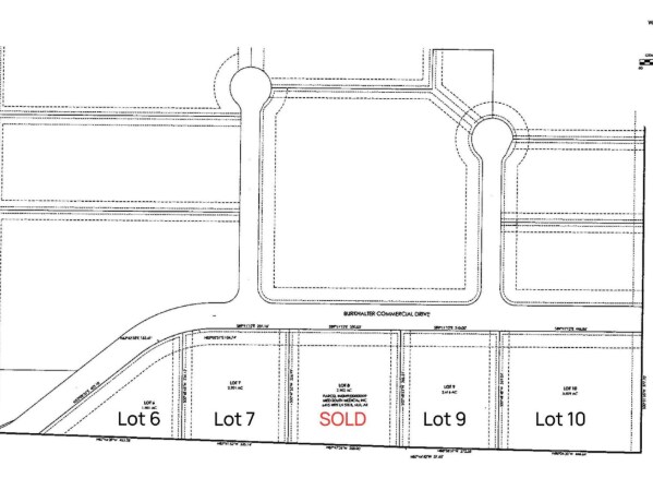
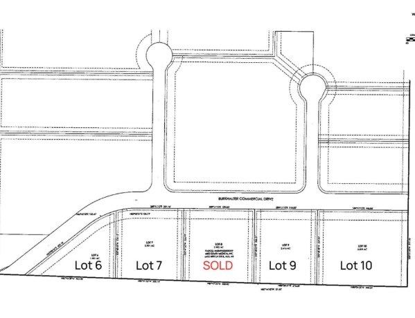
Lot 7 Burkhalter Industrial Drive
Maumelle, AR 72113
Land For Sale
·
2.70 AC

Executive Summary
Business growth opportunities with lots on Burkhalter Industrial Drive, North Little Rock, Arkansas. Endless potential for development, making it an ideal investment for a growing or new business.
Property Facts
| Sale Type | Investment | Property Subtype | Commercial |
| No. Lots | 1 | Proposed Use | Commercial |
| Property Type | Land | Total Lot Size | 2.70 AC |
| Sale Type | Investment |
| No. Lots | 1 |
| Property Type | Land |
| Property Subtype | Commercial |
| Proposed Use | Commercial |
| Total Lot Size | 2.70 AC |
1 Lot Available
Lot
| Price | $368,821 CAD | Lot Size | 2.70 AC |
| Price Per AC | $136,600.40 CAD |
| Price | $368,821 CAD |
| Price Per AC | $136,600.40 CAD |
| Lot Size | 2.70 AC |
Property Taxes
| Parcel Number | 42M-922-00-005-03 | Improvements Assessment | $0 CAD |
| Land Assessment | $110,396 CAD | Total Assessment | $110,396 CAD |
Property Taxes
Parcel Number
42M-922-00-005-03
Land Assessment
$110,396 CAD
Improvements Assessment
$0 CAD
Total Assessment
$110,396 CAD
1 of 2
Videos
Matterport 3D Exterior
Matterport 3D Tour
Photos
Street View
Street
Map
