Log In/Sign Up
Your email has been sent.
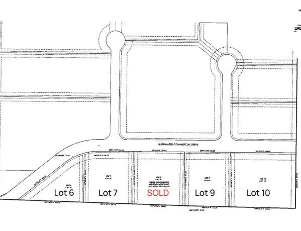
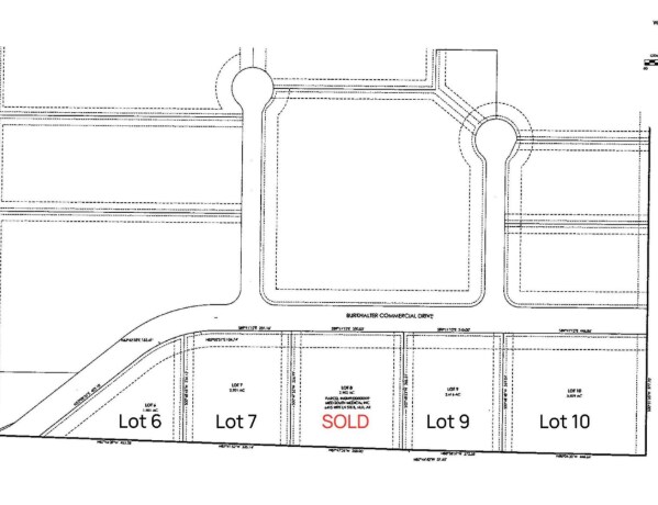
Lot 9 Burkhalter Industrial Drive 2.62 Acres of Commercial Land Offered at $359,432 CAD in Maumelle, AR 72113

EXECUTIVE SUMMARY
Business growth opportunities with lots on Burkhalter Industrial Drive, North Little Rock, Arkansas. Endless potential for development, making it an ideal investment for a growing or new business.
PROPERTY FACTS
| Price | $359,432 CAD | Property Subtype | Commercial |
| Sale Type | Investment | Proposed Use | Commercial |
| No. Lots | 1 | Total Lot Size | 2.62 AC |
| Property Type | Land |
| Price | $359,432 CAD |
| Sale Type | Investment |
| No. Lots | 1 |
| Property Type | Land |
| Property Subtype | Commercial |
| Proposed Use | Commercial |
| Total Lot Size | 2.62 AC |
1 LOT AVAILABLE
Lot
| Price | $359,432 CAD | Lot Size | 2.62 AC |
| Price Per AC | $137,187.63 CAD |
| Price | $359,432 CAD |
| Price Per AC | $137,187.63 CAD |
| Lot Size | 2.62 AC |
1 1
PROPERTY TAXES
| Parcel Number | 42M-922-00-005-00 | Improvements Assessment | $0 CAD |
| Land Assessment | $92,881 CAD | Total Assessment | $92,881 CAD |
PROPERTY TAXES
Parcel Number
42M-922-00-005-00
Land Assessment
$92,881 CAD
Improvements Assessment
$0 CAD
Total Assessment
$92,881 CAD
1 of 2
VIDEOS
MATTERPORT 3D EXTERIOR
MATTERPORT 3D TOUR
PHOTOS
STREET VIEW
STREET
MAP
1 of 1
Presented by
Lot 9 Burkhalter Industrial Drive
Already a member? Log In
Hmm, there seems to have been an error sending your message. Please try again.
Thanks! Your message was sent.
