Log In/Sign Up
Your email has been sent.
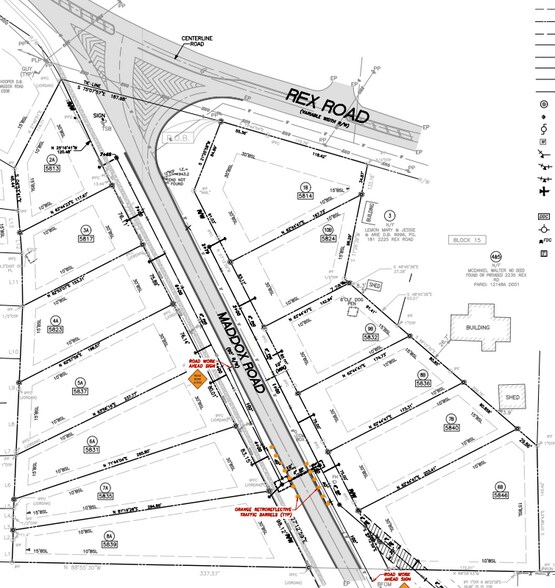
Investment Highlights
- 13 residential lots
- Public water and sewer on site
- 1,300 sq. ft. minimum home size
Executive Summary
An excellent development opportunity featuring 13 residential lots on 4.387 acres. Zoned RG-75 with a 1,300 sq. ft. minimum home size. Public water and sewer are already on site, ready for builders or investors to move forward with construction.
Property Facts
1 Lot Available
Lot 13
| Price | $1,333,488 CAD | Lot Size | 4.39 AC |
| Price Per AC | $303,755.80 CAD |
| Price | $1,333,488 CAD |
| Price Per AC | $303,755.80 CAD |
| Lot Size | 4.39 AC |
An excellent development opportunity featuring 13 residential lots on 4.387 acres. Zoned RG-75 with a 1,300 sq. ft. minimum home size. Public water and sewer are already on site, ready for builders or investors to move forward with construction.
1 1
Fairly walkable
40/100
Exceptionally drivable
100/100
Fairly bikeable
40/100
Property Taxes
| Parcel Numbers | Improvements Assessment | $0 CAD | |
| Land Assessment | $112,011 CAD | Total Assessment | $112,011 CAD |
Property Taxes
Parcel Numbers
Land Assessment
$112,011 CAD
Improvements Assessment
$0 CAD
Total Assessment
$112,011 CAD
1 of 3
Videos
Matterport 3D Exterior
Matterport 3D Tour
Photos
Street View
Street
Map
1 of 1
Presented by
Maddox Rd
Already a member? Log In
Hmm, there seems to have been an error sending your message. Please try again.
Thanks! Your message was sent.


