Log In/Sign Up
Your email has been sent.
Executive Summary
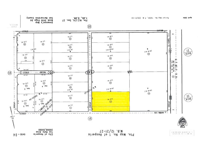
±5.24 acres of vacant land zoned General Industrial (I-G), located at the corner of C Avenue and Mauna Loa Street in the City of Hesperia. Positioned within the city’s established industrial district—bounded by Santa Fe Avenue East and I Avenue—this parcel benefits from paved access along C Avenue and a portion of Mauna Loa Street.
The General Industrial zoning supports a full range of heavy industrial uses, including manufacturing, fabrication, assembly, warehousing, distribution, and outdoor storage—making it well-suited for an owner/user or investor looking to capitalize on the region’s strong industrial momentum. The site is also located near the G Avenue Rail Spur, offering potential future rail connectivity for logistics and distribution-focused operations.
The surrounding industrial market is experiencing low vacancy rates and increased demand, driven by regional growth and proximity to major transportation corridors, including I-15 and US-395. Planned infrastructure improvements under the Hesperia General Plan Update and the proposed High Desert Corridor further enhance the site’s long-term potential.
Seller may consider offering financing with a minimum 40% down, providing a flexible opportunity for qualified buyers to acquire a strategically located parcel in one of Hesperia’s most active industrial hubs. Buyers to independently verify all utilities, zoning, and permitted uses.
The General Industrial zoning supports a full range of heavy industrial uses, including manufacturing, fabrication, assembly, warehousing, distribution, and outdoor storage—making it well-suited for an owner/user or investor looking to capitalize on the region’s strong industrial momentum. The site is also located near the G Avenue Rail Spur, offering potential future rail connectivity for logistics and distribution-focused operations.
The surrounding industrial market is experiencing low vacancy rates and increased demand, driven by regional growth and proximity to major transportation corridors, including I-15 and US-395. Planned infrastructure improvements under the Hesperia General Plan Update and the proposed High Desert Corridor further enhance the site’s long-term potential.
Seller may consider offering financing with a minimum 40% down, providing a flexible opportunity for qualified buyers to acquire a strategically located parcel in one of Hesperia’s most active industrial hubs. Buyers to independently verify all utilities, zoning, and permitted uses.
Property Facts
| Price | $612,144 CAD | Property Subtype | Commercial |
| Sale Type | Investment or Owner User | Total Lot Size | 5.24 AC |
| No. Lots | 1 | Cross Streets | C Avenue |
| Property Type | Land | ||
| Zoning | General Industrial (I-G) - General Industrial zoning supports a full range of heavy industrial uses, including manufacturing, fabrication, assembly, warehousing, distribution. | ||
| Price | $612,144 CAD |
| Sale Type | Investment or Owner User |
| No. Lots | 1 |
| Property Type | Land |
| Property Subtype | Commercial |
| Total Lot Size | 5.24 AC |
| Cross Streets | C Avenue |
| Zoning | General Industrial (I-G) - General Industrial zoning supports a full range of heavy industrial uses, including manufacturing, fabrication, assembly, warehousing, distribution. |
1 Lot Available
Lot 37
| Price | $612,144 CAD | Lot Size | 5.24 AC |
| Price Per AC | $116,821.37 CAD |
| Price | $612,144 CAD |
| Price Per AC | $116,821.37 CAD |
| Lot Size | 5.24 AC |
Rectangular lot consisting of ±5.24 acres at the corner of Mauna Loa Street and C Avenue.
1 1
Property Taxes
| Parcel Number | 0410-041-37 | Improvements Assessment | $0 CAD |
| Land Assessment | $181,264 CAD | Total Assessment | $181,264 CAD |
Property Taxes
Parcel Number
0410-041-37
Land Assessment
$181,264 CAD
Improvements Assessment
$0 CAD
Total Assessment
$181,264 CAD
1 of 3
Videos
Matterport 3D Exterior
Matterport 3D Tour
Photos
Street View
Street
Map
1 of 1
Presented by
Mauna Loa St
Already a member? Log In
Hmm, there seems to have been an error sending your message. Please try again.
Thanks! Your message was sent.


