Log In/Sign Up
Your email has been sent.
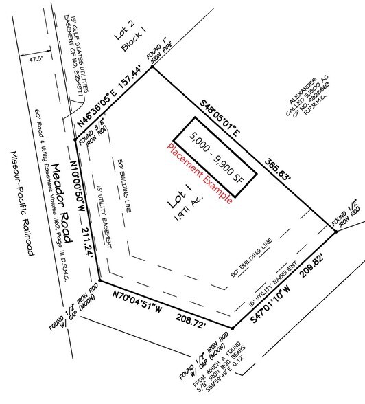
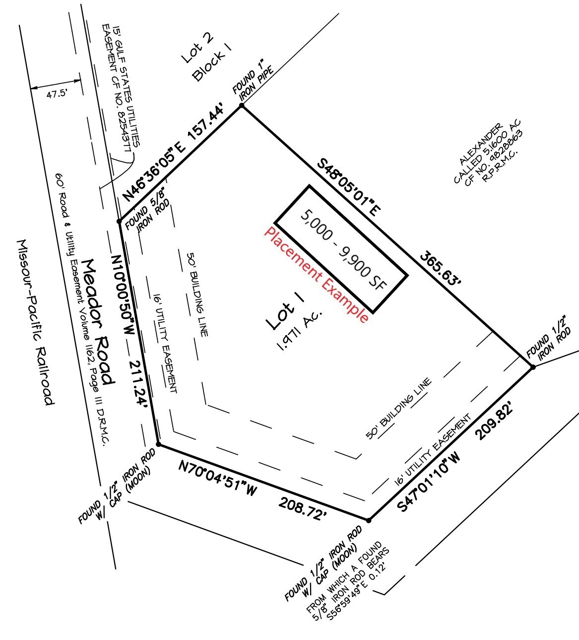
Meador Road
Conroe, TX 77303
Industrial Property For Sale


Investment Highlights
- Unrestricted acreage
- Close to Highway 75
- Proposed Warehouse
- Close to I-45
Executive Summary
PROPOSED BTS 5,000 - 9,900 SF WAREHOUSE ON 1.9 UNRESTRICTED ACRES IN CONROE, TX! THIS PROPERTY IS OUTSIDE THE FLOODPLAIN AND IS ONLY A COUPLE OF MINUTES FROM HIGHWAY 75 AND THE I-45 FREEWAY! PERFECT SPOT FOR ANY COMMERCIAL BUSINESS! THIS 1.9 ACRES IS LOCATED ON THE CORNER OF MEADOR ROAD WHERE THE ROAD TURNS INTO CRYSTAL FOREST DRIVE! THE LEGWORK FOR THIS PROPERTY HAS ALREADY BEEN DONE WITH THE COUNTY AS FAR AS PLATTING OUT THIS PROPERTY GOES. WONDERFUL INDUSTRIAL LOCATION JUST EAST OF I-45! WE CAN BUILD TO SUIT ANYWHERE BETWEEN 5,000 - 9,900 SF -- THE PRICE IS TBD AND WILL DEPEND ON SPECS AND BUILD-OUT. THIS IS ALSO FOR LEASE! FOR MORE INFORMATION, CALL ROBERT GRAHAM AT (936) 672-2087!
Property Facts
1 of 3
Videos
Matterport 3D Exterior
Matterport 3D Tour
Photos
Street View
Street
Map
