Log In/Sign Up
Your email has been sent.
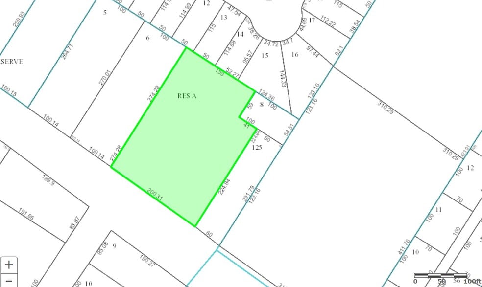
Mills Branch Dr 1.23 Acres of Commercial Land Offered at $1,227,158 CAD in Kingwood, TX 77345



Investment Highlights
- Ideal for food service
- All utilities available to site
- Cleared ready for development
Executive Summary
Prime investment opportunity retangular tract, cleared ready for immediate development.
Financial Summary (Actual - 2024) |
Annual (CAD) | Annual Per AC (CAD) |
|---|---|---|
| Taxes |
$5,114
|
$4,157.50
|
| Operating Expenses |
-
|
-
|
| Total Expenses |
$5,114
|
$4,157.50
|
Financial Summary (Actual - 2024)
| Taxes (CAD) | |
|---|---|
| Annual | $5,114 |
| Annual Per AC | $4,157.50 |
| Operating Expenses (CAD) | |
|---|---|
| Annual | - |
| Annual Per AC | - |
| Total Expenses (CAD) | |
|---|---|
| Annual | $5,114 |
| Annual Per AC | $4,157.50 |
Property Facts
1 Lot Available
Lot
| Price | $1,227,158 CAD | Lot Size | 1.23 AC |
| Price Per AC | $997,689.12 CAD |
| Price | $1,227,158 CAD |
| Price Per AC | $997,689.12 CAD |
| Lot Size | 1.23 AC |
Cleared, level ready for delevopment, 1.23 acre tract (53,406 sq ft) rectangular shaped lot with all utilities available on Mills Branch Road.
Description
Commercial unrestricted 1.23 acre (53,406 sq ft) tract perfect for development of fast food, food truck park or restaurants. Cleared with all utilities available to subject. Limited competition in the area with 9 subdivisions all with sidewalks for walking, bicycling to the property. Flood Zoned X ready to develop.
Somewhat walkable
30/100
Exceptionally drivable
100/100
Fairly bikeable
50/100
1 of 8
Videos
Matterport 3D Exterior
Matterport 3D Tour
Photos
Street View
Street
Map
Presented by
Houston Preferred Properties
Mills Branch Dr
Already a member? Log In
Hmm, there seems to have been an error sending your message. Please try again.
Thanks! Your message was sent.

