Log In/Sign Up
Your email has been sent.
N Bridge Street Hwy - Lots 32-39, N Bridge Street, Elkton, MD 21921 1.18 Acres of Commercial Land Offered at $139,592 CAD in Elkton, MD 21921



INVESTMENT HIGHLIGHTS
- Walk to Elton town center
- Near US-40 and I-95
- Major North-South Highway
EXECUTIVE SUMMARY
ELKTON, MD
COMMERCIAL LAND
1.8± Acres ? Zoned C2
Known As Lots 32-39
Revised Section D, Elkton Heights
Situated On the East Side of
N. BRIDGE STREET (MD-213)
Between Elkton Boulevard & Decker Street
Cecil County, MD 21921
Online Bidding Opens
MONDAY, JANUARY 12, 2026
Online Bidding Closes
THURSDAY, JANUARY 15, 2026
AT 11:00 A.M.
NOTE: The information contained herein has been obtained from sources deemed reliable and is believed to be accurate. However, no express or implied warranty is made or may be inferred from any such representation. Dimensions, square footage and acreage contained herein are more or less. Prospective purchasers are encouraged to perform their own due diligence, in advance of the auction, regarding the permitted uses of the property.
LOCATION:
The property is situated on the east side of N. Bridge Street (MD-213), north of Elkton Boulevard and south of Decker Street. The site is north of US-40, south of I-95, northwest and within walking distance of the downtown business district. Elkton is the county seat of Cecil County on Maryland’s Eastern Shore. Bridge Street is a major north-south roadway, lined with restaurants, retail establishments and community services, near well-established residential neighborhoods. The auction provides an opportunity to purchase a well-located development parcel in an expanding area.
SITE:
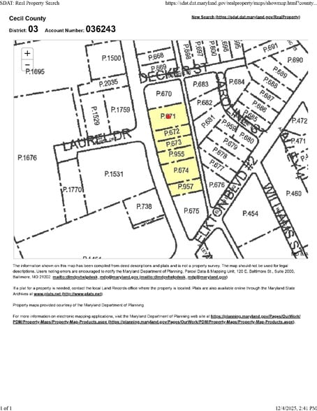
The property is comprised of eight lots, to be sold as an entirety only, known as Lots 32-39, Revised Section D, Elkton Heights, on the plat recorded among the Land Records of Cecil County in Plat Book 52 Page 173.
The eight lots are shown on six Cecil County tax parcels:
Tax Map 27G Parcel 671 Lots 32-33 0.25 acre
Tax Map 27G Parcel 672 Lot 34 0.1551 acre
Tax Map 27G Parcel 673 Lot 35 0.1551 acre
Tax Map 27G Parcel 955 Lot 36 0.1611 acre
Tax Map 27G Parcel 674 Lots 37 & 38 0.31 acre
Tax Map 27G Parcel 957 Lot 39 0.1491 acre
1.1804 acres
The property fronts approximately 388' along the east side of N. Bridge Street and is wooded.
Public water, sewer, gas, electricity, telephone and internet are believed, but not warranted, to be in Bridge Street.
ZONING:
The property is located in a C2, general commercial zoning district. Designated as a “Highway Commercial District”, the zoning is intended for a wide range of commercial activities that serve the needs of area citizens, including retail sales, offices and services.
BILLBOARD:
A billboard lease is in place for Lot 37, at an annual rental of $2,250. The lease, dated April 7, 2022, provides for two outdoor advertising sign structures, containing three advertising faces. The lease is for ten years, beginning April 1, 2022 and expiring March 31, 2032. The lessee is Lamar Advertising Company, successor to Apple Outdoor Advertising, Inc.
Sign Location Lease
TITLE:
The property is in fee simple and sold free and clear of liens. Deeds are recorded among the Land Records of Cecil County in Book CMN 5280, Page 411 and Book CMN 5280, Page 416.
TAXES:
Published annual real estate taxes for the six tax parcels are $3,058, based on total full value assessments of $481,600.
SUMMARY TERMS OF SALE:
Please see the Contract of Sale for complete terms.
A 10% deposit, payable by wire transfer or cashier's check, will be required of the Purchaser at by 4:00 p.m. on the day of auction, at the Auctioneer’s office. Deposit funds shall be held by A. J. Billig & Co., LLC. Balance to be paid in cash at settlement, which shall take place within 45 days. If payment of the deposit or balance does not take place within the specified time, the deposit shall be forfeited and the property may be resold at the risk and expense of the Purchaser. Interest to be charged on the unpaid purchase money, at the rate of 12% per annum, from date of contract to date of settlement. All adjustments, including taxes, rents all other public charges and assessments payable on a monthly or annual basis, and sanitary and/or metropolitan district charges, if any, to be adjusted for the current year to date of contract and assumed thereafter by the Purchaser. The property will be sold in "AS IS, WHERE IS" condition, subject to the billboard lease, dated April 7, 2022 (Estate of Mary A. Mahoney, Lessor to Apple Outdoor Advertising, Inc., Lessee), and subject to easements, agreements, restrictions or covenants of record affecting same, if any. Purchaser assumes the risk of loss from the date of contract forward. The Purchaser waives and releases the Seller, the Auctioneers, and their respective agents, successors and assigns from any and all claims the Purchaser and/or its successors and assigns may now have or may have in the future relating to the condition of the property, including but not limited to the environmental condition thereof. If the Seller is unable to convey good and marketable title, the Purchaser's sole remedy in law or equity shall be limited to the refund of the deposit. Upon refund of the deposit this sale shall be null and void and of no effect, and the Purchaser shall have no further claim against the Seller or Auctioneers. Recordation costs, transfer taxes and all costs incidental to settlement to be paid by the Purchaser. Time is of the essence. A 10% buyer’s premium will be added to the final bid and becomes part of the contract price.
COMMERCIAL LAND
1.8± Acres ? Zoned C2
Known As Lots 32-39
Revised Section D, Elkton Heights
Situated On the East Side of
N. BRIDGE STREET (MD-213)
Between Elkton Boulevard & Decker Street
Cecil County, MD 21921
Online Bidding Opens
MONDAY, JANUARY 12, 2026
Online Bidding Closes
THURSDAY, JANUARY 15, 2026
AT 11:00 A.M.
NOTE: The information contained herein has been obtained from sources deemed reliable and is believed to be accurate. However, no express or implied warranty is made or may be inferred from any such representation. Dimensions, square footage and acreage contained herein are more or less. Prospective purchasers are encouraged to perform their own due diligence, in advance of the auction, regarding the permitted uses of the property.
LOCATION:
The property is situated on the east side of N. Bridge Street (MD-213), north of Elkton Boulevard and south of Decker Street. The site is north of US-40, south of I-95, northwest and within walking distance of the downtown business district. Elkton is the county seat of Cecil County on Maryland’s Eastern Shore. Bridge Street is a major north-south roadway, lined with restaurants, retail establishments and community services, near well-established residential neighborhoods. The auction provides an opportunity to purchase a well-located development parcel in an expanding area.
SITE:
The property is comprised of eight lots, to be sold as an entirety only, known as Lots 32-39, Revised Section D, Elkton Heights, on the plat recorded among the Land Records of Cecil County in Plat Book 52 Page 173.
The eight lots are shown on six Cecil County tax parcels:
Tax Map 27G Parcel 671 Lots 32-33 0.25 acre
Tax Map 27G Parcel 672 Lot 34 0.1551 acre
Tax Map 27G Parcel 673 Lot 35 0.1551 acre
Tax Map 27G Parcel 955 Lot 36 0.1611 acre
Tax Map 27G Parcel 674 Lots 37 & 38 0.31 acre
Tax Map 27G Parcel 957 Lot 39 0.1491 acre
1.1804 acres
The property fronts approximately 388' along the east side of N. Bridge Street and is wooded.
Public water, sewer, gas, electricity, telephone and internet are believed, but not warranted, to be in Bridge Street.
ZONING:
The property is located in a C2, general commercial zoning district. Designated as a “Highway Commercial District”, the zoning is intended for a wide range of commercial activities that serve the needs of area citizens, including retail sales, offices and services.
BILLBOARD:
A billboard lease is in place for Lot 37, at an annual rental of $2,250. The lease, dated April 7, 2022, provides for two outdoor advertising sign structures, containing three advertising faces. The lease is for ten years, beginning April 1, 2022 and expiring March 31, 2032. The lessee is Lamar Advertising Company, successor to Apple Outdoor Advertising, Inc.
Sign Location Lease
TITLE:
The property is in fee simple and sold free and clear of liens. Deeds are recorded among the Land Records of Cecil County in Book CMN 5280, Page 411 and Book CMN 5280, Page 416.
TAXES:
Published annual real estate taxes for the six tax parcels are $3,058, based on total full value assessments of $481,600.
SUMMARY TERMS OF SALE:
Please see the Contract of Sale for complete terms.
A 10% deposit, payable by wire transfer or cashier's check, will be required of the Purchaser at by 4:00 p.m. on the day of auction, at the Auctioneer’s office. Deposit funds shall be held by A. J. Billig & Co., LLC. Balance to be paid in cash at settlement, which shall take place within 45 days. If payment of the deposit or balance does not take place within the specified time, the deposit shall be forfeited and the property may be resold at the risk and expense of the Purchaser. Interest to be charged on the unpaid purchase money, at the rate of 12% per annum, from date of contract to date of settlement. All adjustments, including taxes, rents all other public charges and assessments payable on a monthly or annual basis, and sanitary and/or metropolitan district charges, if any, to be adjusted for the current year to date of contract and assumed thereafter by the Purchaser. The property will be sold in "AS IS, WHERE IS" condition, subject to the billboard lease, dated April 7, 2022 (Estate of Mary A. Mahoney, Lessor to Apple Outdoor Advertising, Inc., Lessee), and subject to easements, agreements, restrictions or covenants of record affecting same, if any. Purchaser assumes the risk of loss from the date of contract forward. The Purchaser waives and releases the Seller, the Auctioneers, and their respective agents, successors and assigns from any and all claims the Purchaser and/or its successors and assigns may now have or may have in the future relating to the condition of the property, including but not limited to the environmental condition thereof. If the Seller is unable to convey good and marketable title, the Purchaser's sole remedy in law or equity shall be limited to the refund of the deposit. Upon refund of the deposit this sale shall be null and void and of no effect, and the Purchaser shall have no further claim against the Seller or Auctioneers. Recordation costs, transfer taxes and all costs incidental to settlement to be paid by the Purchaser. Time is of the essence. A 10% buyer’s premium will be added to the final bid and becomes part of the contract price.
PROPERTY FACTS
| Price | $139,592 CAD | Proposed Use | Commercial |
| Sale Type | Investment or Owner User | Total Lot Size | 1.18 AC |
| No. Lots | 1 | Cross Streets | Elkton Blvd |
| Property Type | Land | Opportunity Zone |
Yes
|
| Property Subtype | Commercial | ||
| Zoning | C-2 - The property is located in a C2, general commercial zoning district. Designated as a “Highway Commercial District”, the zoning is intended for a wide | ||
| Price | $139,592 CAD |
| Sale Type | Investment or Owner User |
| No. Lots | 1 |
| Property Type | Land |
| Property Subtype | Commercial |
| Proposed Use | Commercial |
| Total Lot Size | 1.18 AC |
| Cross Streets | Elkton Blvd |
| Opportunity Zone |
Yes |
| Zoning | C-2 - The property is located in a C2, general commercial zoning district. Designated as a “Highway Commercial District”, the zoning is intended for a wide |
1 LOT AVAILABLE
Lot 32-39
| Price | $139,592 CAD | Lot Size | 1.18 AC |
| Price Per AC | $118,298.31 CAD |
| Price | $139,592 CAD |
| Price Per AC | $118,298.31 CAD |
| Lot Size | 1.18 AC |
Absolute Auction to the Highest Bidder Above $100,000 - Online bidding January 12, 2026 - January 15, 2026. 1.18 acre commercial lot. Billboard lease in place on portion.
1 of 4
VIDEOS
MATTERPORT 3D EXTERIOR
MATTERPORT 3D TOUR
PHOTOS
STREET VIEW
STREET
MAP
Presented by
N Bridge Street Hwy - Lots 32-39, N Bridge Street, Elkton, MD 21921
Already a member? Log In
Hmm, there seems to have been an error sending your message. Please try again.
Thanks! Your message was sent.

