Log In/Sign Up
Your email has been sent.
N Mitchell & US-131
Cadillac, MI 49601
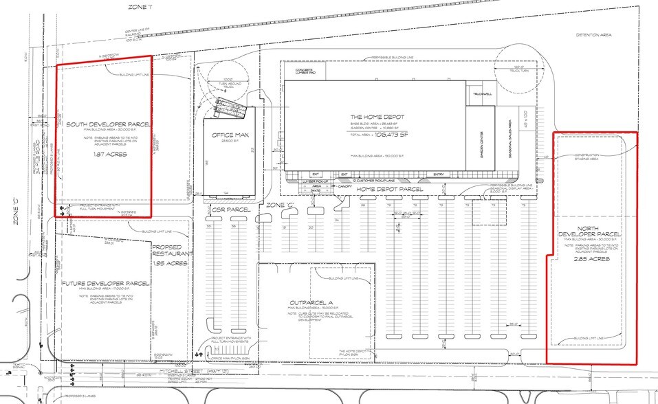
South Parcel · Land For Sale
·
1.87 AC


Investment Highlights
- Located next to Harbor Freight and Home Depot.
- Highly visible retail cooridor.
Executive Summary
Great Retail Development Opportunity.
Property Facts
| Sale Type | Owner User | Property Subtype | Commercial |
| Sale Condition | Build to Suit | Proposed Use | Commercial |
| No. Lots | 1 | Total Lot Size | 1.87 AC |
| Property Type | Land | ||
| Zoning | CM - Commerical | ||
| Sale Type | Owner User |
| Sale Condition | Build to Suit |
| No. Lots | 1 |
| Property Type | Land |
| Property Subtype | Commercial |
| Proposed Use | Commercial |
| Total Lot Size | 1.87 AC |
| Zoning | CM - Commerical |
1 Lot Available
Lot
| Price | $191,857 CAD | Lot Size | 1.87 AC |
| Price Per AC | $102,597.54 CAD |
| Price | $191,857 CAD |
| Price Per AC | $102,597.54 CAD |
| Lot Size | 1.87 AC |
1.87 AC development land adjacent to Harbor Freight.
Description
High visibility Shopping Center featuring Home Depot and Harbor Freight located on Business N Mitchell & US-131 Corridor.
1 of 3
Videos
Matterport 3D Exterior
Matterport 3D Tour
Photos
Street View
Street
Map
