Log In/Sign Up
Your email has been sent.
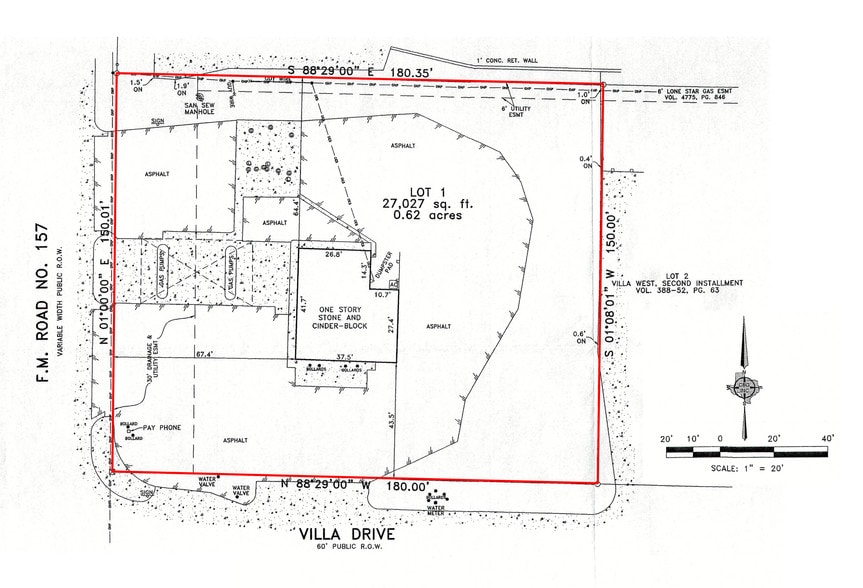
NEC FM 157 Industrial Blvd
Euless, TX 76040
Founders Parc · Land For Sale
·
0.62 AC


Investment Highlights
- Strong visibility to Aldi, Ross, and the Home Depot on S. Industrial Blvd.
- Strong traffic counts and visibility
Executive Summary
Pad site available for sale or lease.
Property Facts
1 Lot Available
Lot
| Lot Size | 0.62 AC |
| Lot Size | 0.62 AC |
Pad site available for sale or lease.
Description
Pad site available on high-traffic S. Industrial Blvd.
Property Taxes
| Parcel Number | 03274551 | Improvements Assessment | $21,690 CAD |
| Land Assessment | $370,904 CAD | Total Assessment | $392,594 CAD |
Property Taxes
Parcel Number
03274551
Land Assessment
$370,904 CAD
Improvements Assessment
$21,690 CAD
Total Assessment
$392,594 CAD
1 of 8
Videos
Matterport 3D Exterior
Matterport 3D Tour
Photos
Street View
Street
Map
