Your email has been sent.
NEC of Becker Rd & Cumberland Ridge dr - Dellrose Hard Corner Site 1.94 Acres of Commercial Land in Hockley, TX 77447



Investment Highlights
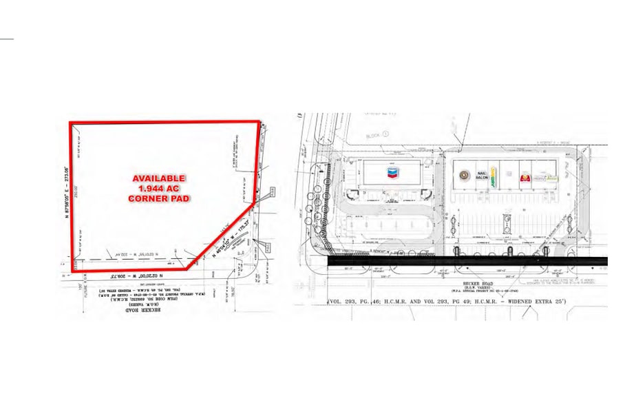
- 1.944 AC pad site available in the Dellrose master planned community
- Dellrose spans 600 acres and is surrounded by existing and future residential with a void for retail, restaurant, and service users
- Available: » 84,680.64 SF Pad Site
- Convenient access located northwest of Hwy 290 and Grand Parkway
- Dellrose already has more than 1,200 homes built in the community
Property Facts
| Sale Type | Investment | Property Subtype | Commercial |
| No. Lots | 1 | Proposed Use | Retail |
| Property Type | Land | Total Lot Size | 1.94 AC |
| Sale Type | Investment |
| No. Lots | 1 |
| Property Type | Land |
| Property Subtype | Commercial |
| Proposed Use | Retail |
| Total Lot Size | 1.94 AC |
1 Lot Available
Lot
| Lot Size | 1.94 AC |
| Lot Size | 1.94 AC |
- 1.944 AC pad site available in the Dellrose master planned community - Convenient access located northwest of Hwy 290 and Grand Parkway - Dellrose already has more than 1,200 homes built in the community
Description
› 1.944 AC pad site available in the Dellrose master planned community › Convenient access located northwest of Hwy 290 and Grand Parkway › Dellrose spans 600 acres and is surrounded by existing and future residential with a void for retail, restaurant, and service users › Dellrose already has more than 1,200 homes built in the community › Available: » 84,680.64 SF Pad Site › All utilities to the site (except stormwater needs to be pulled off Cumberland Ridge) and no detention required
Property Taxes
| Parcel Number | 0440110002489 | Improvements Assessment | $0 CAD |
| Land Assessment | $582,563 CAD | Total Assessment | $582,563 CAD |
Property Taxes
Presented by
NEC of Becker Rd & Cumberland Ridge dr - Dellrose Hard Corner Site
Hmm, there seems to have been an error sending your message. Please try again.
Thanks! Your message was sent.
