Log In/Sign Up
Your email has been sent.
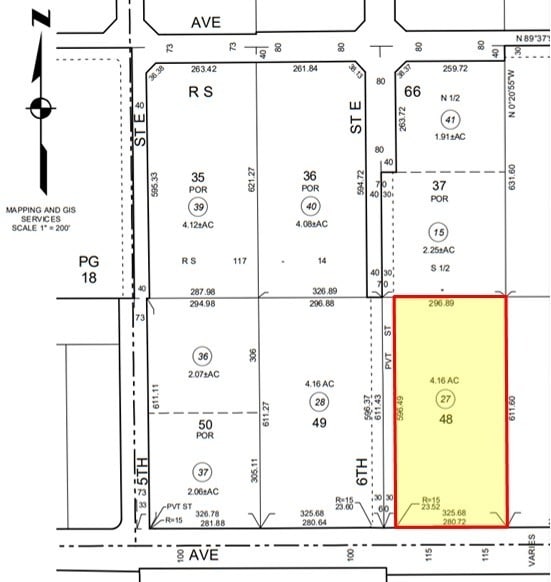
CONTRACTOR'S YARD/EQUIPMENT STORAGE NEC of Columbia Way and 6th St East 2.08 - 4.16 Acres of Industrial Land for Lease in Lancaster, CA 93535



Highlights
- Fenced lot with a-base
- Convenient freeway access less than 2 miles away
- Strategic mid-cities location
LOT Available
Display Rental Rate as
| Rental Rate |
|
Lot Size | 2.08 - 4.16 AC |
| Lease Term | Negotiable |
| Rental Rate | |
| Lease Term | Negotiable |
| Lot Size | 2.08 - 4.16 AC |
Outside storage! up to 4.16+/- acres fenced with a-base, 2 access gates along 6th St East available for $7,500/month. Will consider splitting into smaller sizes
Property Overview
Outdoor Storage yard available! 4.16+/- acres completely fenced with 2 access gates along 6th St East and covered with A-Base! May consider splitting yard, submit needs. Strategic mid-cities location with convenient freeway access just minutes away!
Property Facts
Somewhat walkable
20/100
Exceptionally drivable
100/100
Somewhat bikeable
30/100
1 of 4
Videos
Matterport 3D Exterior
Matterport 3D Tour
Photos
Street View
Street
Map
Presented by
CONTRACTOR'S YARD/EQUIPMENT STORAGE | NEC of Columbia Way and 6th St East
Already a member? Log In
Hmm, there seems to have been an error sending your message. Please try again.
Thanks! Your message was sent.

