Your email has been sent.
Executive Summary
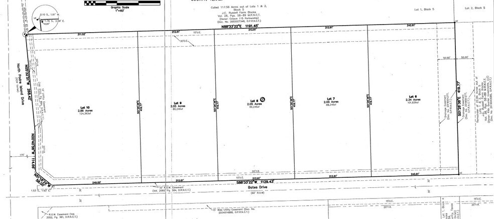
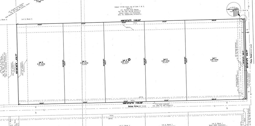
• Tract B: Lots 1–4 | 9.09 contiguous acres
• Divisible to 2.05 acres
Positioned at the corners of NPID & Bates Road and Flato Road & Bates Road, the property offers approximately 447 feet of frontage on NPID, 2,326 feet on Bates Road and 429 feet on Flato Road. The site benefits from strong visibility and convenient access to North Padre Island Drive (SH 358), IH 37, Crosstown Expressway (SH 286), and State Highway 44. It is also located just 3 miles from Corpus Christi International Airport and approximately 12 miles from the Port of Corpus Christi.
Area businesses include oilfield services, McCoy’s Lumber, trucking equipment rental, Sunbelt, Wolsey, IRISNDT, Total Safety, United Rentals and others.
Property Facts
| Price | $5,800,426 CAD | Property Type | Land |
| Sale Type | Investment | Property Subtype | Industrial |
| No. Lots | 1 | Total Lot Size | 20.00 AC |
| Zoning | IL | ||
| Price | $5,800,426 CAD |
| Sale Type | Investment |
| No. Lots | 1 |
| Property Type | Land |
| Property Subtype | Industrial |
| Total Lot Size | 20.00 AC |
| Zoning | IL |
1 Lot Available
Lot
| Price | $5,800,426 CAD | Lot Size | 20.00 AC |
| Price Per AC | $290,021.31 CAD |
| Price | $5,800,426 CAD |
| Price Per AC | $290,021.31 CAD |
| Lot Size | 20.00 AC |
20 acres of fully platted lots. Lots 1-5 preliminary plats have been approved by the City of Corpus Christi. $4.90/SF
Description
Fully platted lots from 2 acres to 20 acres. Located on the corner of NPID & Bates Rd and the corner of Flato Rd & Bates Rd. Approximately 447' frontage available on NPID. Approximately 2,326' frontage available on Bates Rd. Approximately 429' frontage available on Flato Rd. Great visibility and easy access to North Padre Island Drive (SH-358), IH 37, Crosstown Expressway (SH 286), and State Highway 44 (Agnes Street). Close to Corpus Christi International Airport (3 miles), Port of Corpus Christi (12 miles), SH 181, Refinery Row, Etc. Area businesses include oilfield services, McCoys Lumber, trucking equipment rental, Sunbelt, Wolsey, IRISNDT, Total Safety, United Rentals, and others.
Presented by
NPID & Bates Rd
Hmm, there seems to have been an error sending your message. Please try again.
Thanks! Your message was sent.



