Log In/Sign Up
Your email has been sent.
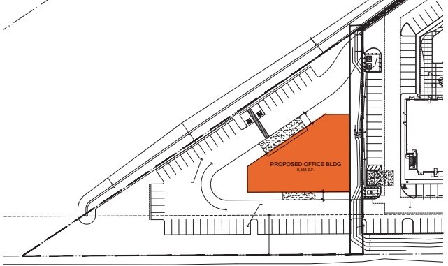
Phase III NW Loop 101 & Tatum Blvd 20,000 SF Vacant Office Building Phoenix, AZ 85050 For Sale



Investment Highlights
- Full Diamond Interchange at Tatum & Loop 101
Executive Summary
Please contact the broker for further information.
Property Facts
Sale Type
Investment or Owner User
Property Type
Office
Property Subtype
Medical
Building Size
20,000 SF
Building Class
B
Year Built
2027
Construction Status
Proposed
Percent Leased
Vacant
Tenancy
Multiple
Building Height
1 Story
Typical Floor Size
20,000 SF
Building FAR
0.33
Lot Size
1.40 AC
Zoning
C-C - Commercial
Amenities
- Air Conditioning
Space Availability
- Space
- Size
- Space Use
- Build-Out
- Available
Built to Suit Property Anticipated 10 month build time after lease has been signed Freeway Signage Available
| Space | Size | Space Use | Build-Out | Available |
| 1st Floor | 10,500-20,000 SF | Office | Shell Space | Now |
1st Floor
| Size |
| 10,500-20,000 SF |
| Space Use |
| Office |
| Build-Out |
| Shell Space |
| Available |
| Now |
1st Floor
| Size | 10,500-20,000 SF |
| Space Use | Office |
| Build-Out | Shell Space |
| Available | Now |
Built to Suit Property Anticipated 10 month build time after lease has been signed Freeway Signage Available
Somewhat walkable
30/100
Exceptionally drivable
100/100
Limited public transit
30/100
Fairly bikeable
50/100
Property Taxes
| Parcel Number | 212-38-001W | Improvements Assessment | $0 CAD |
| Land Assessment | $86,143 CAD | Total Assessment | $86,143 CAD |
Property Taxes
Parcel Number
212-38-001W
Land Assessment
$86,143 CAD
Improvements Assessment
$0 CAD
Total Assessment
$86,143 CAD
1 of 5
Videos
Matterport 3D Exterior
Matterport 3D Tour
Photos
Street View
Street
Map
Presented by
Phase III | NW Loop 101 & Tatum Blvd
Already a member? Log In
Hmm, there seems to have been an error sending your message. Please try again.
Thanks! Your message was sent.

