Log In/Sign Up
Your email has been sent.
Investment Highlights
- Fully Entitled Site
Executive Summary
±1.96 AC (±85,378 SF) Land
Fully Entitled Site - City of Jurupa Valley Approved 08/2/2023
±39,052 SF Brand-New Class A Industrial Warehouse
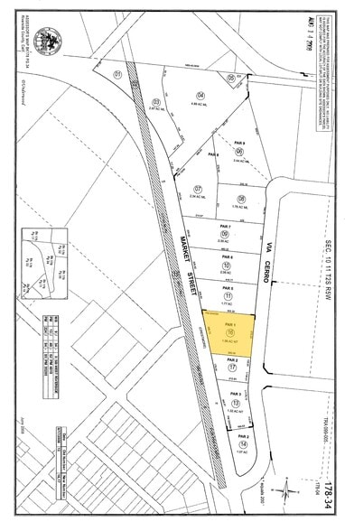
APN: 178-340-016
M-H Zoning
Direct Access to the Business-to-Business Hub and to the Heart of Inland Empire
Immediate Access to 60, 215, 91, 10, & 15 Fwys
Fully Entitled Site - City of Jurupa Valley Approved 08/2/2023
±39,052 SF Brand-New Class A Industrial Warehouse
APN: 178-340-016
M-H Zoning
Direct Access to the Business-to-Business Hub and to the Heart of Inland Empire
Immediate Access to 60, 215, 91, 10, & 15 Fwys
Property Facts
| Sale Type | Investment or Owner User | Property Subtype | Industrial |
| No. Lots | 1 | Proposed Use | Industrial |
| Property Type | Land | Total Lot Size | 1.96 AC |
| Zoning | M-H - Manufacturing-Heavy | ||
| Sale Type | Investment or Owner User |
| No. Lots | 1 |
| Property Type | Land |
| Property Subtype | Industrial |
| Proposed Use | Industrial |
| Total Lot Size | 1.96 AC |
| Zoning | M-H - Manufacturing-Heavy |
1 Lot Available
Lot
| Lot Size | 1.96 AC |
| Lot Size | 1.96 AC |
±1.96 AC (±85,378 SF) Land Fully Entitled Site - City of Jurupa Valley Approved 08/2/2023 ±39,052 SF Brand-New Class A Industrial Warehouse w/ Approved Construction Plans APN: 178-340-016 M-H Zoning
Description
±1.96 AC (±85,378 SF) Land Fully Entitled Site - City of Jurupa Valley Approved 08/2/2023 ±39,052 SF Brand-New Class A Warehouse APN: 178-340-016 M-H Zoning Direct Access to the Business-to-Business Hub and to the Heart of Inland Empire Immediate Access to 60, 215, 91, 10, & 15 Fwys
1 1
Somewhat walkable
30/100
Exceptionally drivable
100/100
Some public transit
40/100
Moderately bikeable
60/100
Property Taxes
| Parcel Number | 178-340-016 | Improvements Assessment | $0 CAD |
| Land Assessment | $1,523,444 CAD | Total Assessment | $1,523,444 CAD |
Property Taxes
Parcel Number
178-340-016
Land Assessment
$1,523,444 CAD
Improvements Assessment
$0 CAD
Total Assessment
$1,523,444 CAD
1 of 11
Videos
Matterport 3D Exterior
Matterport 3D Tour
Photos
Street View
Street
Map
1 of 1
Presented by
NWC Via Cerro Rd & Fleetwood Dr
Already a member? Log In
Hmm, there seems to have been an error sending your message. Please try again.
Thanks! Your message was sent.



