Log In/Sign Up
Your email has been sent.
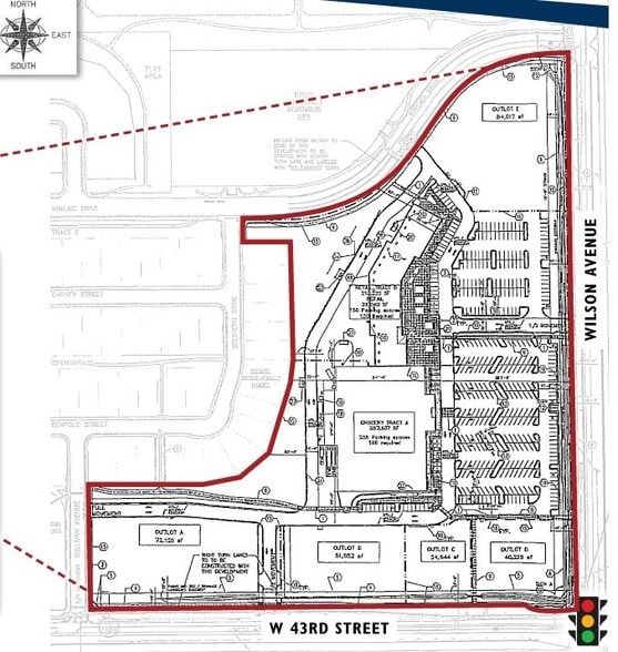
NWC W 43rd St & Wilson Ave
Loveland, CO 80538
Loveland Crossing · Land For Sale
·
17.76 AC


Investment Highlights
- Located at lighted intersection.
- SWC also available for sale (Glen Isle Towne Centre).
- Site is 100% development ready with all detention located off-site.
Executive Summary
Final Development Plan approval for an 88,668 SF fully entitled grocery anchored and in-line retail neighborhood shopping center site with retail gas kiosk and five (5) platted outlots for retail and office uses. Located at lighted intersection. Site is 100% development ready with all detention located off-site. SWC also available for sale (Glen Isle Towne Center). Northwest corner of intersection of Wilson Ave and 43rd Street.
Property Facts
1 Lot Available
Lot
| Lot Size | 17.76 AC |
| Lot Size | 17.76 AC |
Fully entitled grocery-anchored and in-line retail neighborhood shopping center site.
Description
Final Development Plan approval for an 88,668 square foot grocery anchored and in-line retail neighborhood shopping center with five (5) platted outlots for retail and office uses.
Property Taxes
| Parcel Numbers | Improvements Assessment | $0 CAD | |
| Land Assessment | $643 CAD | Total Assessment | $643 CAD |
Property Taxes
Parcel Numbers
Land Assessment
$643 CAD
Improvements Assessment
$0 CAD
Total Assessment
$643 CAD
1 of 3
Videos
Matterport 3D Exterior
Matterport 3D Tour
Photos
Street View
Street
Map
