Log In/Sign Up
Your email has been sent.
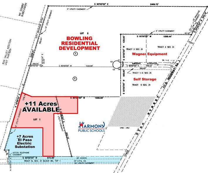
NWQ Dyer And Grouse
El Paso, TX 79924
Land For Sale
·
11.00 AC


Investment Highlights
- NW Quadrant Dyer St. & Grouse Rd. El Paso, Texas
Executive Summary
The majority of the frontage along Dyer Street is zoned C-4 (commercial). The rear property is zoned P-R-1 (Planned Residential) and & A-M (Apart-Mobile Home)
Property Facts
1 Lot Available
Lot
| Price | $3,875,592 CAD | Lot Size | 11.00 AC |
| Price Per AC | $352,326.55 CAD |
| Price | $3,875,592 CAD |
| Price Per AC | $352,326.55 CAD |
| Lot Size | 11.00 AC |
1 of 3
Videos
Matterport 3D Exterior
Matterport 3D Tour
Photos
Street View
Street
Map
