Log In/Sign Up
Your email has been sent.
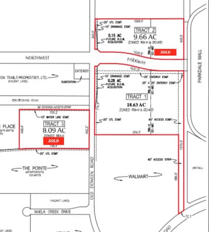
Investment Highlights
- Property Can Be Divided
- North of and Adjacent to WalMart Super Center
- Direct Access to and from Dowlen Road
- West of and Adjacent to Parkdale Mall
Property Facts
1 Lot Available
Lot
| Lot Size | 18.63 AC |
| Lot Size | 18.63 AC |
1 1
Fairly walkable
50/100
Exceptionally drivable
100/100
Somewhat bikeable
30/100
1 of 4
Videos
Matterport 3D Exterior
Matterport 3D Tour
Photos
Street View
Street
Map
1 of 1
Presented by
Northwest Parkway - Tract 1
Already a member? Log In
Hmm, there seems to have been an error sending your message. Please try again.
Thanks! Your message was sent.



