Log In/Sign Up
Your email has been sent.
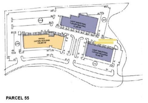
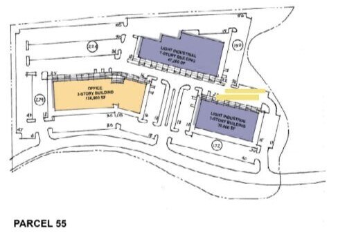
Parcel 55 - 16.58 AC
Folsom, CA 95630
Land For Sale
·
16.58 AC

Executive Summary
Proposed 3 buildings on site
Property Facts
| Sale Type | Investment | Property Subtype | Commercial |
| No. Lots | 1 | Total Lot Size | 16.58 AC |
| Property Type | Land |
| Sale Type | Investment |
| No. Lots | 1 |
| Property Type | Land |
| Property Subtype | Commercial |
| Total Lot Size | 16.58 AC |
1 Lot Available
Lot
| Price | $14,835,562 CAD | Lot Size | 16.58 AC |
| Price Per AC | $894,786.60 CAD |
| Price | $14,835,562 CAD |
| Price Per AC | $894,786.60 CAD |
| Lot Size | 16.58 AC |
1 of 2
Videos
Matterport 3D Exterior
Matterport 3D Tour
Photos
Street View
Street
Map
