Log In/Sign Up
Your email has been sent.
Part of a portfolio 3 Properties Offered at $2,163,676 CAD in Kansas City, MO



PROPERTY FACTS
| Price | $2,163,676 CAD | Number of Properties | 3 |
| Price / SF | $319.64 CAD / SF | Individually For Sale | 2 |
| Sale Type | Investment or Owner User | Total Building Size | 6,769 SF |
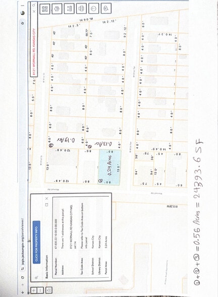
| Status | Active | Total Land Area | 0.56 AC |
| Price | $2,163,676 CAD |
| Price / SF | $319.64 CAD / SF |
| Sale Type | Investment or Owner User |
| Status | Active |
| Number of Properties | 3 |
| Individually For Sale | 2 |
| Total Building Size | 6,769 SF |
| Total Land Area | 0.56 AC |
PROPERTIES
| PROPERTY NAME / ADDRESS | PROPERTY TYPE | SIZE | YEAR BUILT | INDIVIDUAL PRICE |
|---|---|---|---|---|
| 311 W 81st St, Kansas City, MO 64114 | Land | 0.19 AC | - | $209,388 CAD |
| 310 W 81st Ter, Kansas City, MO 64114 | Land | 0.13 AC | - | - |
|
Accents Gallery Furniture
8121 Wornall Rd, Kansas City, MO 64114 |
Retail | 6,769 SF | 1950 | $1,828,655 CAD |
1 1
1 of 5
VIDEOS
MATTERPORT 3D EXTERIOR
MATTERPORT 3D TOUR
PHOTOS
STREET VIEW
STREET
MAP
1 of 1
Presented by
Part of a portfolio
Already a member? Log In
Hmm, there seems to have been an error sending your message. Please try again.
Thanks! Your message was sent.
