Your email has been sent.
Pelabravo, Salamanca 37181 0.58 Acres of Commercial Land Offered at $114,976 CAD

Some information has been automatically translated.
Property Facts
| Price | $114,976 CAD | Property Type | Land |
| Sale Type | Investment or Owner User | Property Subtype | Commercial |
| No. Lots | 1 | Total Lot Size | 0.58 AC |
| Price | $114,976 CAD |
| Sale Type | Investment or Owner User |
| No. Lots | 1 |
| Property Type | Land |
| Property Subtype | Commercial |
| Total Lot Size | 0.58 AC |
1 Lot Available
Lot
| Price | $114,976 CAD | Lot Size | 0.58 AC |
| Price Per AC | $196,907.07 CAD |
| Price | $114,976 CAD |
| Price Per AC | $196,907.07 CAD |
| Lot Size | 0.58 AC |
Description
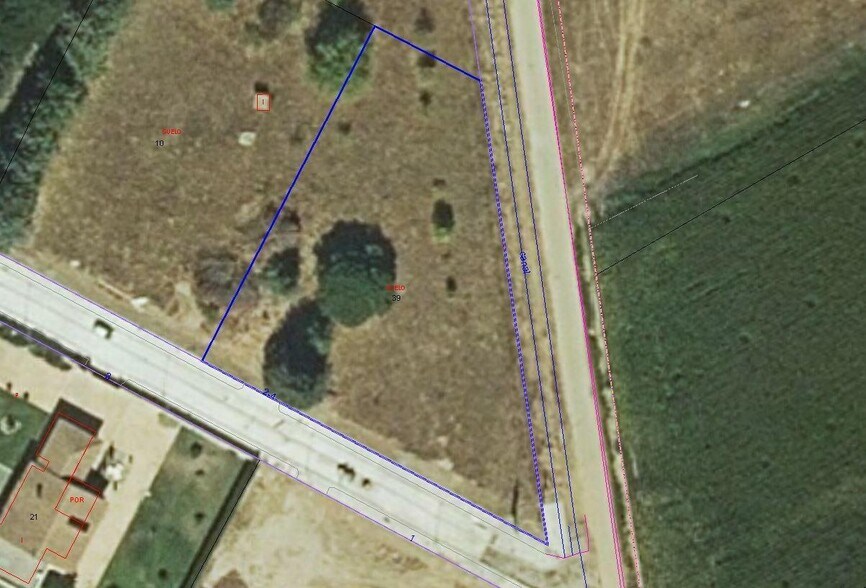
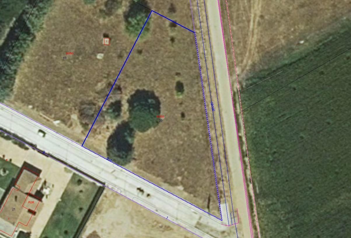
Urbis te ofrece una parcela en venta en zona Naharros del Río, Pelabravo, Salamanca... Descubre esta parcela excepcional en la zona de Naharros del Río, una oportunidad única para construir la casa de tus sueños en un entorno natural y tranquilo. Está situada en una urbanización consolidada y calificada como urbana, viviendo 40 familias permanentemente. La urbanización dispone de diferentes servicios, como piscina, tenis, baloncesto y fútbol... Tiene varias posibilidades, se puede construir un chalet de 400 m2 o dos de 200 m2, pareados o individuales... Con una generosa superficie de 2363 m2, esta propiedad ofrece un lienzo en blanco para tu imaginación arquitectónica. ¿Listo para dar vida a tus ideas y crear el hogar perfecto?... No lo dudes, aquí tienes el terreno de tus sueños... Comparte con nosotros tus sueños y nuestro PERSONAL SHOPPER inmobiliario los hará realidad. Financiación a medida, hasta el 100%... ¿Quieres visitarlo? o necesitas más información, llama al y pásate al rosa... Por deseo de algunos propietarios, tenemos inmuebles en esta misma zona que solo están anunciados en nuestra web. Para verlos entre en... Este anuncio no es vinculante y puede contener errores; se muestra a título informativo y no contractual. Gracias por su tiempo...
Presented by
"Pelabravo, Salamanca 37181"
Hmm, there seems to have been an error sending your message. Please try again.
Thanks! Your message was sent.
