Your email has been sent.
Highlights
- This space sports many local amenities
- Good transport links
- Well located building
Space Availability (1)
Display Rental Rate as
- Space
- Size
- Term
- Rental Rate
- Type
| Space | Size | Term | Rental Rate | Rent Type | ||
| Ground | 2,153 SF | Negotiable | Upon Request Upon Request Upon Request Upon Request | Fully Repairing & Insuring |
Ground
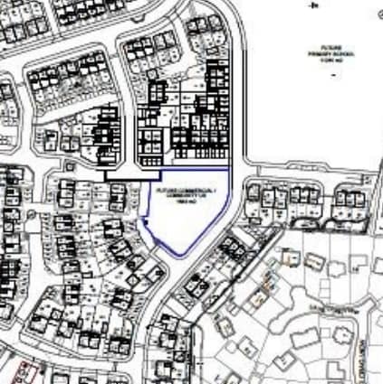
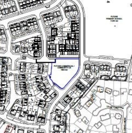
Under Development. The property is to be arranged over the ground floor only providing 2,153 sf ft of accommodation. The subject premises will be positioned in close proximity t the school land and provide an exciting retail opportunity to compliment the surrounding area. Larger proposals to be considered subject to planning.
- Use Class: E
- Situated in a prime location
Service Types
The rent amount and service type that the tenant (lessee) will be responsible to pay to the landlord (lessor) throughout the lease term is negotiated prior to both parties signing a lease agreement. The service type will vary depending upon the services provided. Contact the listing broker for a full understanding of any associated costs or additional expenses for each service type.
1. Fully Repairing & Insuring: All obligations for repairing and insuring the property (or their share of the property) both internally and externally.
2. Internal Repairing Only: The tenant is responsible for internal repairs only. The landlord is responsible for structural and external repairs.
3. Internal Repairing & Insuring: The tenant is responsible for internal repairs and insurance for internal parts of the property only. The landlord is responsible for structural and external repairs.
4. Negotiable or TBD: This is used when the leasing contact does not provide the service type.
Property Facts
| Total Space Available | 2,153 SF | Year Built | 2025 |
| Property Type | Retail | Construction Status | Proposed |
| Gross Leasable Area | 2,153 SF |
| Total Space Available | 2,153 SF |
| Property Type | Retail |
| Gross Leasable Area | 2,153 SF |
| Year Built | 2025 |
| Construction Status | Proposed |
About the Property
The subject premises will be positioned in close proximity to the school land and provide an exciting retail opportunity to compliment the surrounding area. The site is just off the A59 and A61 and is approximately 14 miles north of Leeds city centre and 22 miles west of York city centre. The development will consist of 600 new homes as well as land set aside for a new primary school.
Presented by
Penny Pot Ln
Hmm, there seems to have been an error sending your message. Please try again.
Thanks! Your message was sent.




