Log In/Sign Up
Your email has been sent.
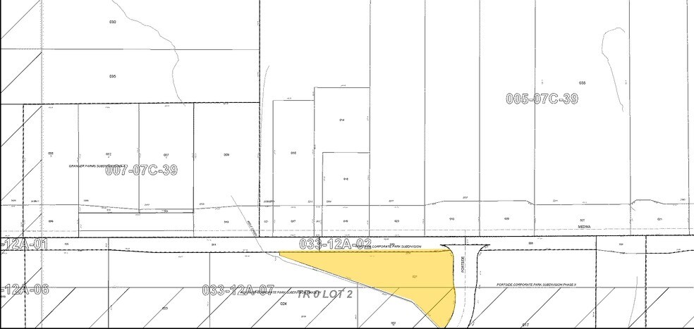
Portside Dr
Medina, OH 44256
Lot 7 · Land For Sale
·
3.43 AC


Investment Highlights
- Well positioned within 5-minute drive of I-71.
Executive Summary
3.43 acres of commercial land available for industrial development. Land offered for sale at $254,400.
Property Facts
1 Lot Available
Lot Lot 7
| Price | $345,730 CAD | Lot Size | 3.43 AC |
| Price Per AC | $100,795.80 CAD |
| Price | $345,730 CAD |
| Price Per AC | $100,795.80 CAD |
| Lot Size | 3.43 AC |
Property Taxes
| Parcel Number | 033-12A-07-008 | Improvements Assessment | $0 CAD |
| Land Assessment | $156,001 CAD | Total Assessment | $156,001 CAD |
Property Taxes
Parcel Number
033-12A-07-008
Land Assessment
$156,001 CAD
Improvements Assessment
$0 CAD
Total Assessment
$156,001 CAD
1 of 3
Videos
Matterport 3D Exterior
Matterport 3D Tour
Photos
Street View
Street
Map
