Log In/Sign Up
Your email has been sent.
Railroad St
Trona, CA 93562
+/-0.132 AC Zoning CR SB County · Land For Sale
·
0.13 AC


Property Facts
| Sale Type | Investment | Property Subtype | Commercial |
| No. Lots | 1 | Proposed Use | Commercial |
| Property Type | Land | Total Lot Size | 0.13 AC |
| Zoning | CR - Commercial Rural | ||
| Sale Type | Investment |
| No. Lots | 1 |
| Property Type | Land |
| Property Subtype | Commercial |
| Proposed Use | Commercial |
| Total Lot Size | 0.13 AC |
| Zoning | CR - Commercial Rural |
1 Lot Available
Lot
| Price | $14,854 CAD | Lot Size | 0.13 AC |
| Price Per AC | $112,529.13 CAD |
| Price | $14,854 CAD |
| Price Per AC | $112,529.13 CAD |
| Lot Size | 0.13 AC |
EARTH GPS COORDINATES 35.741278,-117.396224
Description
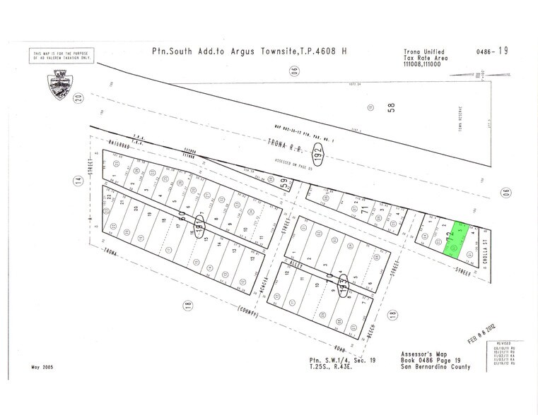
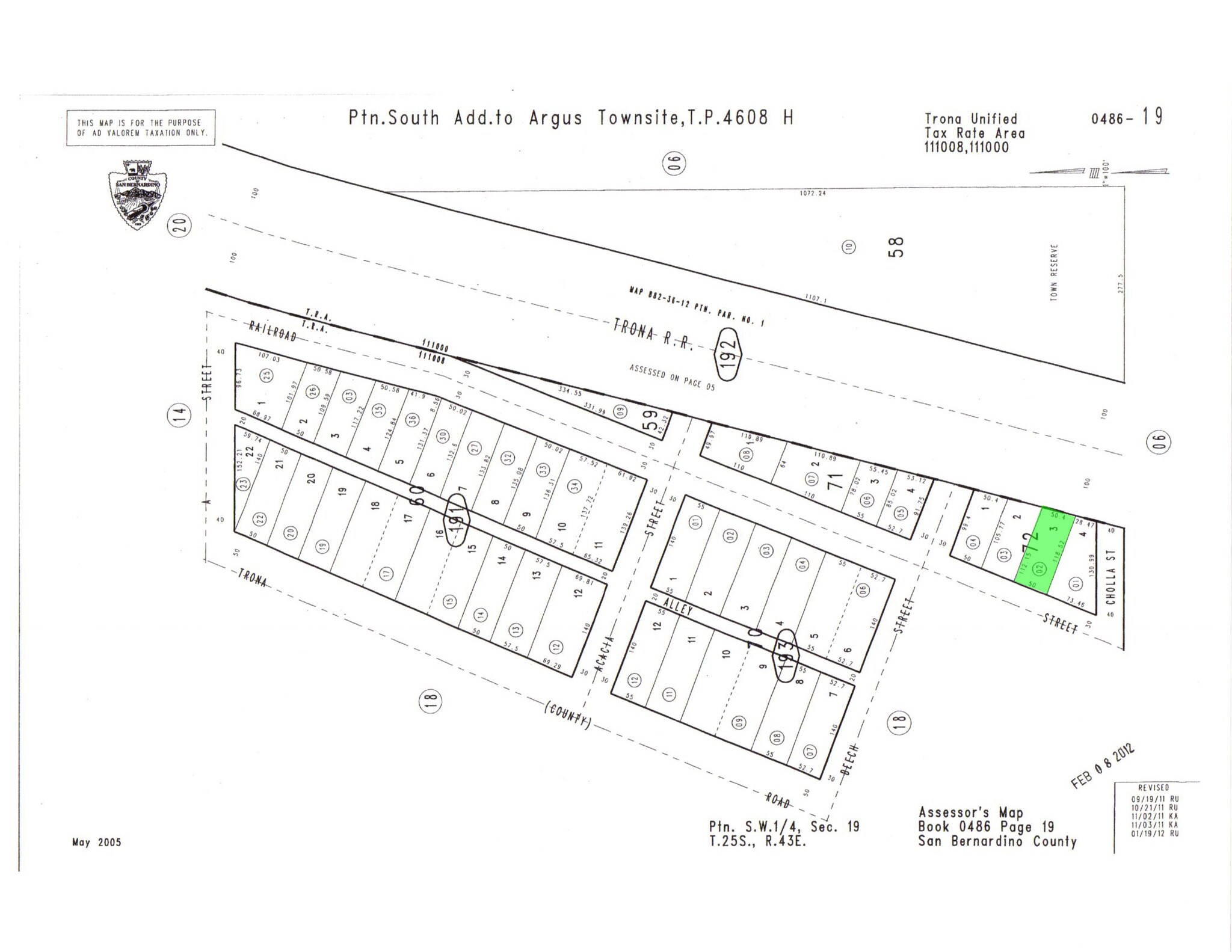
There is not an address associated with this parcel. What is reflected is the Parcel# 0486-192-02-0000 which is 0.132 Acres. Zoning is CR (Commercial Rural).Located in Trona which is an Unincorporated area of San Bernardino County. Power less than 50 ft. away.
Property Taxes
| Parcel Number | 0486-192-02 | Improvements Assessment | $0 CAD |
| Land Assessment | $596 CAD | Total Assessment | $596 CAD |
Property Taxes
Parcel Number
0486-192-02
Land Assessment
$596 CAD
Improvements Assessment
$0 CAD
Total Assessment
$596 CAD
1 of 9
Videos
Matterport 3D Exterior
Matterport 3D Tour
Photos
Street View
Street
Map
