Log In/Sign Up
Your email has been sent.
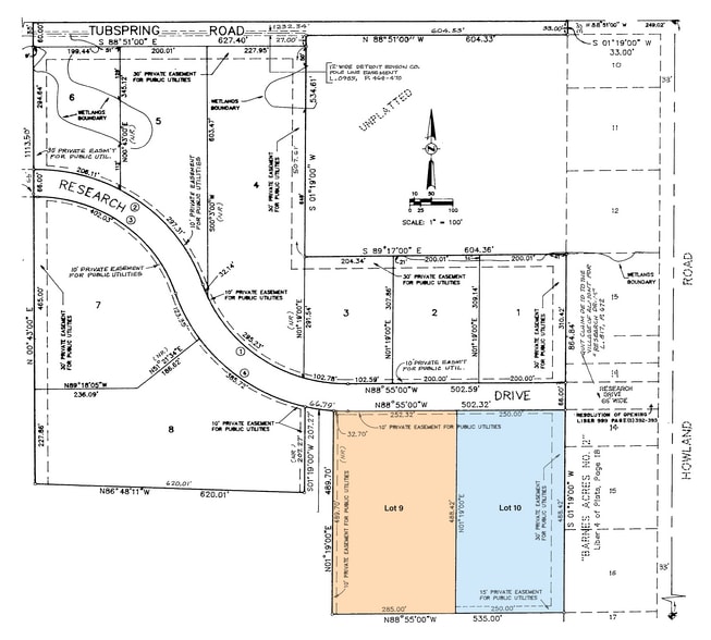
Research Dr
Almont, MI 48003
Almont Research Industrial Park · Land For Sale
·
2.80 AC


Investment Highlights
- 2.803 Acres For Sale
- All Utilities On-Site and Ready for Construction
- Close Proximity to I-69
- Owner will Build-to-Suit
- Directly off M-53
- Adjacent Lot For Sale (3.196 Acres)
Executive Summary
Improved industrial lot located in the Almont Research & Industrial Park. All utilities are on-site
Property Facts
| Sale Type | Investment | Property Subtype | Commercial |
| No. Lots | 1 | Total Lot Size | 2.80 AC |
| Property Type | Land | ||
| Zoning | Industrial - Industrial Park | ||
| Sale Type | Investment |
| No. Lots | 1 |
| Property Type | Land |
| Property Subtype | Commercial |
| Total Lot Size | 2.80 AC |
| Zoning | Industrial - Industrial Park |
1 Lot Available
Lot 10
| Price | $342,644 CAD | Lot Size | 2.80 AC |
| Price Per AC | $122,372.83 CAD |
| Price | $342,644 CAD |
| Price Per AC | $122,372.83 CAD |
| Lot Size | 2.80 AC |
2.803 Acres For Sale Owner will Build-to-Suit All Utilities On-Site and Ready for Construction Directly off M-53 Close Proximity to I-69
Description
2.803 Acres For Sale Owner will Build-to-Suit All Utilities On-Site and Ready for Construction Directly off M-53 Close Proximity to I-69
1 of 4
Videos
Matterport 3D Exterior
Matterport 3D Tour
Photos
Street View
Street
Map
