Log In/Sign Up
Your email has been sent.
Robert J Mathews Pky
El Dorado Hills, CA 95762
El Dorado Hills Business Park · Land For Sale
·
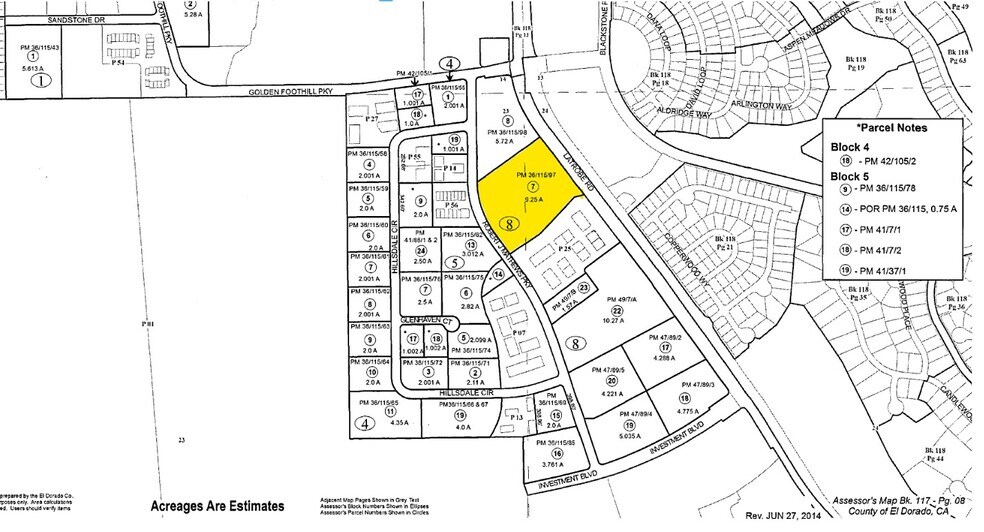
9.25 AC


Investment Highlights
- Site is the epicenter of high growth, affluent El Dorado Hills and South Folsom submarket.
- Excellent freeway access onto US Highway 50.
- Prime development site for owner/user, school, industrial R&D spec projects.
Executive Summary
This 9.25-acre vacant lot is located in desirable El Dorado Hills in Northern California. It is bounded on the West by Robert J Mathews Pkwy and on the East by Latrobe Rd. El Dorado Hills Business Park would be a prime development opportunity for an owner/user or for a developer with a commercial or industrial tenant requirement. This commercial property (Zoned R&D/Industrial) is strategically located just south of Highway 50 at Latrobe Rd. It is well positioned to serve the rapidly growing city of Folsom and western El Dorado County.
Property Facts
1 Lot Available
Lot
| Price | $3,886,606 CAD | Lot Size | 9.25 AC |
| Price Per AC | $420,173.66 CAD |
| Price | $3,886,606 CAD |
| Price Per AC | $420,173.66 CAD |
| Lot Size | 9.25 AC |
Nearly shovel-ready development site in the epicenter of massive industrial and residential growth happening right now in El Dorado Hills and South Folsom.
Property Taxes
| Parcel Number | 117-088-007-000 | Improvements Assessment | $0 CAD |
| Land Assessment | $1,516,590 CAD | Total Assessment | $1,516,590 CAD |
Property Taxes
Parcel Number
117-088-007-000
Land Assessment
$1,516,590 CAD
Improvements Assessment
$0 CAD
Total Assessment
$1,516,590 CAD
1 of 3
Videos
Matterport 3D Exterior
Matterport 3D Tour
Photos
Street View
Street
Map
