Log In/Sign Up
Your email has been sent.
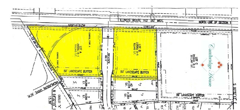
Route 162 & Vadalabene Dr - Lot B 1.86 Acres of Commercial Land Offered at $729,086 CAD in Maryville, IL 62062



INVESTMENT HIGHLIGHTS
- Just one block from Mercy Clinic Oncology & Hematology Center
EXECUTIVE SUMMARY
All Utilities. Zoned B-1.
PROPERTY FACTS
| Price | $729,086 CAD | Property Subtype | Commercial |
| Sale Type | Investment | Proposed Use | Commercial |
| No. Lots | 1 | Total Lot Size | 1.86 AC |
| Property Type | Land | ||
| Zoning | B1 | ||
| Price | $729,086 CAD |
| Sale Type | Investment |
| No. Lots | 1 |
| Property Type | Land |
| Property Subtype | Commercial |
| Proposed Use | Commercial |
| Total Lot Size | 1.86 AC |
| Zoning | B1 |
1 LOT AVAILABLE
Lot Lot B
| Price | $729,086 CAD | Lot Size | 1.86 AC |
| Price Per AC | $391,728.83 CAD |
| Price | $729,086 CAD |
| Price Per AC | $391,728.83 CAD |
| Lot Size | 1.86 AC |
Lot A: 1.93 acres (84,112 SF) 180’ Frontage. Lot B: 1.86 acres (81,073 SF) 261’ Frontage.
DESCRIPTION
Just east of Anderson Hospital & Vadalabene Dr
1 1
PROPERTY TAXES
| Parcel Number | 13-2-21-01-14-301-044 | Improvements Assessment | $0 CAD |
| Land Assessment | $849 CAD | Total Assessment | $849 CAD |
PROPERTY TAXES
Parcel Number
13-2-21-01-14-301-044
Land Assessment
$849 CAD
Improvements Assessment
$0 CAD
Total Assessment
$849 CAD
1 of 4
VIDEOS
MATTERPORT 3D EXTERIOR
MATTERPORT 3D TOUR
PHOTOS
STREET VIEW
STREET
MAP
1 of 1
Presented by
Route 162 & Vadalabene Dr - Lot B
Already a member? Log In
Hmm, there seems to have been an error sending your message. Please try again.
Thanks! Your message was sent.
