Log In/Sign Up
Your email has been sent.
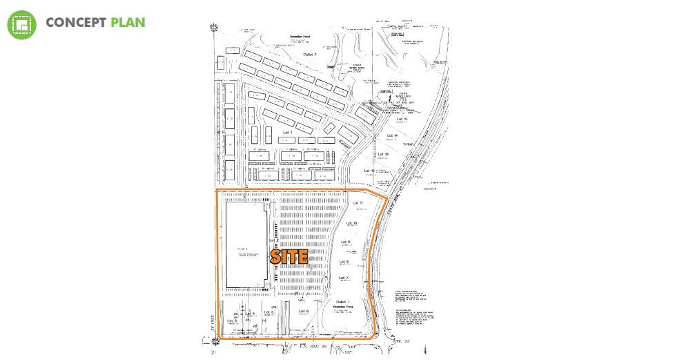
Route 20
Pingree Grove, IL 60140
Land For Sale
·
36.90 AC


Investment Highlights
- Located at a major corner with a lighted intersection.
- High traffic count at intersection.
Executive Summary
±36.9 acres with retail zoning. 400 planned units to the north.
Property Facts
1 Lot Available
Lot
| Price | $7,689,657 CAD | Lot Size | 36.90 AC |
| Price Per AC | $208,391.78 CAD |
| Price | $7,689,657 CAD |
| Price Per AC | $208,391.78 CAD |
| Lot Size | 36.90 AC |
Property Taxes
| Parcel Numbers | Improvements Assessment | $0 CAD | |
| Land Assessment | $15,249 CAD | Total Assessment | $15,249 CAD |
Property Taxes
Parcel Numbers
Land Assessment
$15,249 CAD
Improvements Assessment
$0 CAD
Total Assessment
$15,249 CAD
1 of 3
Videos
Matterport 3D Exterior
Matterport 3D Tour
Photos
Street View
Street
Map
