Log In/Sign Up
Your email has been sent.
Royston Avenue 0.55 Acres of Residential Land Offered at $342,427 CAD in Baltimore, MD 21214



Executive Summary
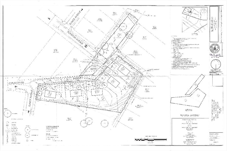
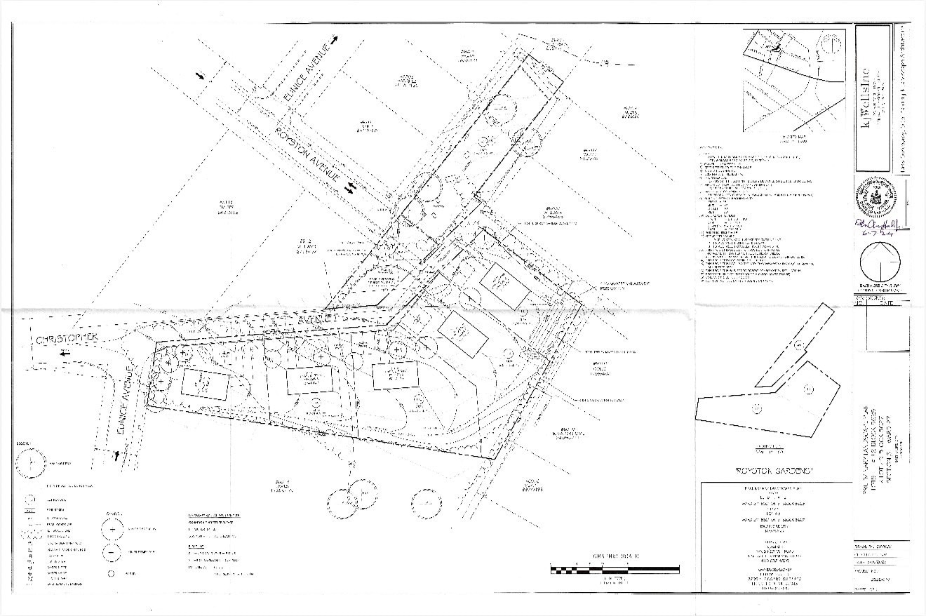
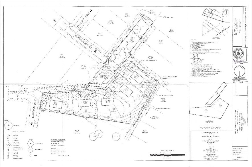
Introducing an exceptional opportunity to acquire 3 contiguous parcels offering flexible development potential. The property has been thoughtfully laid out for up to 5 new home sites or may be utilized as one expansive homesite with abundant open space.
Ideally located in the Hamilton neighborhood of Northeast Baltimore, this historic residential area along Harford Road is beloved for its charming “Smalltimore” feel. The surrounding streets feature classic 20th-century American Foursquares and bungalows, all set among quiet, tree-lined blocks that create a true neighborhood atmosphere.
Opportunities like this are increasingly rare. Priced to sell, so don’t miss the chance to build, develop, or invest in one of Baltimore’s most established and desirable communities!
Ideally located in the Hamilton neighborhood of Northeast Baltimore, this historic residential area along Harford Road is beloved for its charming “Smalltimore” feel. The surrounding streets feature classic 20th-century American Foursquares and bungalows, all set among quiet, tree-lined blocks that create a true neighborhood atmosphere.
Opportunities like this are increasingly rare. Priced to sell, so don’t miss the chance to build, develop, or invest in one of Baltimore’s most established and desirable communities!
Property Facts
| Price | $342,427 CAD | Property Type | Land |
| Sale Type | Investment or Owner User | Property Subtype | Residential |
| No. Lots | 1 | Total Lot Size | 0.55 AC |
| Zoning | R | ||
| Price | $342,427 CAD |
| Sale Type | Investment or Owner User |
| No. Lots | 1 |
| Property Type | Land |
| Property Subtype | Residential |
| Total Lot Size | 0.55 AC |
| Zoning | R |
1 Lot Available
Lot
| Price | $342,427 CAD | Lot Size | 0.55 AC |
| Price Per AC | $625,677.18 CAD |
| Price | $342,427 CAD |
| Price Per AC | $625,677.18 CAD |
| Lot Size | 0.55 AC |
1 1
Moderately walkable
60/100
Moderately drivable
60/100
Limited public transit
30/100
Fairly bikeable
50/100
Property Taxes
| Parcel Numbers | Improvements Assessment | $0 CAD | |
| Land Assessment | $55,610 CAD | Total Assessment | $55,610 CAD |
Property Taxes
Parcel Numbers
Land Assessment
$55,610 CAD
Improvements Assessment
$0 CAD
Total Assessment
$55,610 CAD
1 of 13
Videos
Matterport 3D Exterior
Matterport 3D Tour
Photos
Street View
Street
Map
1 of 1
Presented by
Royston Avenue
Already a member? Log In
Hmm, there seems to have been an error sending your message. Please try again.
Thanks! Your message was sent.
