Log In/Sign Up
Your email has been sent.
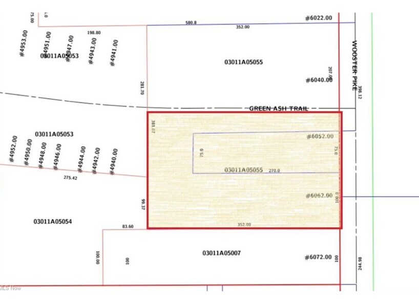
(Rt. 3) Wooster Pike Pike - VL 1.6 acres Wooster Pike, Medina OH 44256 1.6 Acres of Commercial Land Offered at $900,191 CAD in Medina, OH 44256


EXECUTIVE SUMMARY
Great commercial lot in a high traffic area for a national chain. Or build to suit. Great location and all city utilities.
PROPERTY FACTS
| Price | $900,191 CAD | Property Type | Land |
| Sale Type | Investment or Owner User | Property Subtype | Commercial |
| No. Lots | 1 | Total Lot Size | 1.60 AC |
| Price | $900,191 CAD |
| Sale Type | Investment or Owner User |
| No. Lots | 1 |
| Property Type | Land |
| Property Subtype | Commercial |
| Total Lot Size | 1.60 AC |
1 LOT AVAILABLE
Lot
| Price | $900,191 CAD | Lot Size | 1.60 AC |
| Price Per AC | $562,619.68 CAD |
| Price | $900,191 CAD |
| Price Per AC | $562,619.68 CAD |
| Lot Size | 1.60 AC |
Great commercial lot in a high traffic area for a national chain. Or build to suit. Great location and all city utilities.
1 1
PROPERTY TAXES
| Parcel Number | 030-11A-05-055 | Improvements Assessment | $0 CAD |
| Land Assessment | $62,961 CAD | Total Assessment | $62,961 CAD |
PROPERTY TAXES
Parcel Number
030-11A-05-055
Land Assessment
$62,961 CAD
Improvements Assessment
$0 CAD
Total Assessment
$62,961 CAD
1 of 3
VIDEOS
MATTERPORT 3D EXTERIOR
MATTERPORT 3D TOUR
PHOTOS
STREET VIEW
STREET
MAP
1 of 1
Presented by
Home Equity Realty
(Rt. 3) Wooster Pike Pike - VL 1.6 acres Wooster Pike, Medina OH 44256
Already a member? Log In
Hmm, there seems to have been an error sending your message. Please try again.
Thanks! Your message was sent.
